Terrain à vendre à Neerijse
249 000 €
Est-ce faisable pour vous?Description
Malheureusement, la description n'est pas disponible dans la langue sélectionnée.
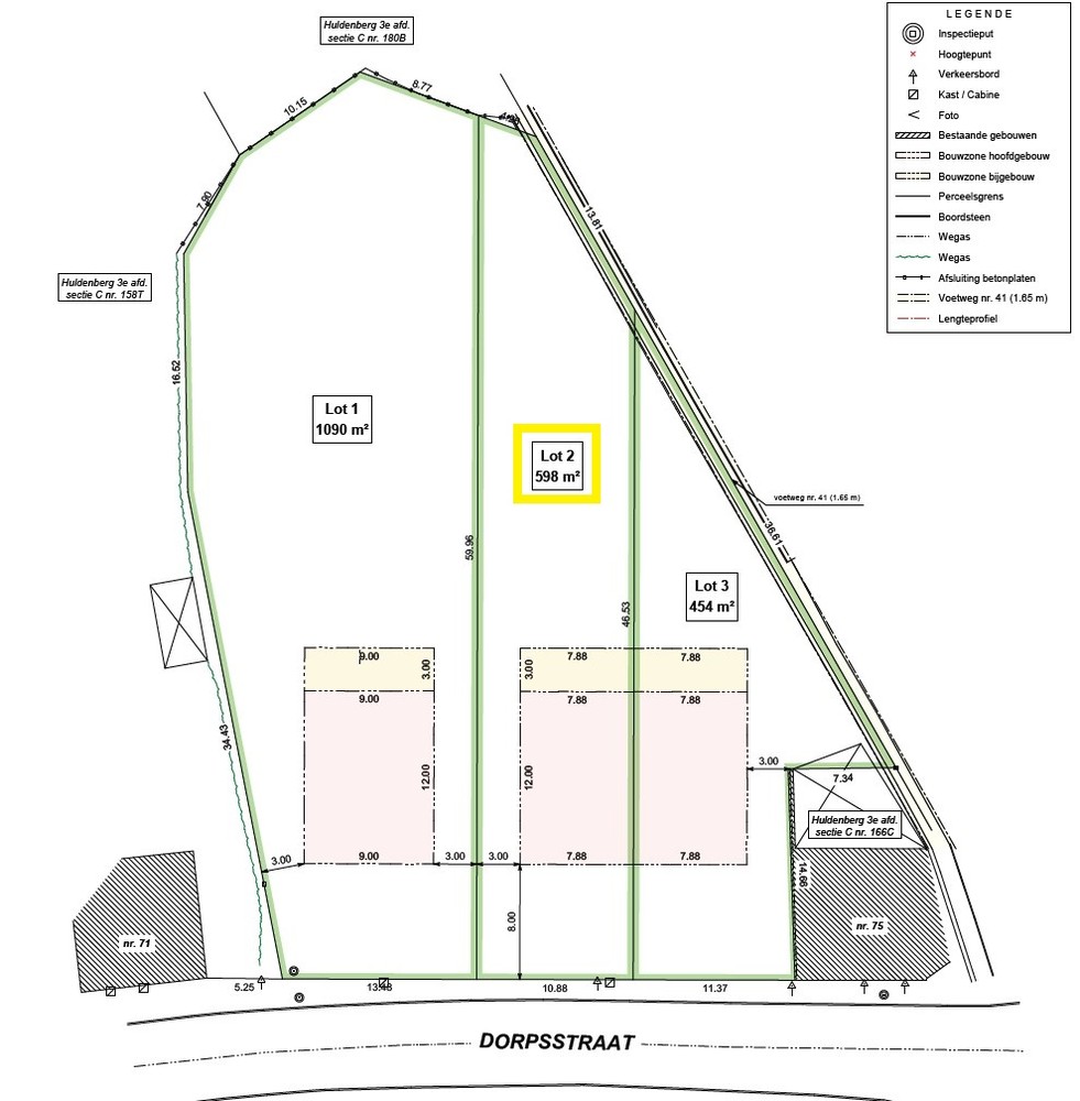
Op slechts enkele minuten rijden verwijderd van de E40, Leuven, verschillende winkels, bakker etc. treft u deze ruime, zuid-georiënteerde bouwgrond zonder bouwverplichting met prachtig vergezicht. Bestemd voor driegevelwoning.
De bouwvoorschriften vindt u terug onder "downloads" (op onze website www.immodedijle.be). O.a. 15m bouwdiepte op kelderniveau en eerste verdieping, 12m op de verdieping. Plat dak.
De natuurliefhebber komt hier ook helemaal aan z'n trekken met in de nabije omgeving het natuurreservaat de Doode Bemde.
Mogelijkheid tot aankoop lot 1 en/of lot 3.
De bouwvoorschriften vindt u terug onder "downloads" (op onze website www.immodedijle.be). O.a. 15m bouwdiepte op kelderniveau en eerste verdieping, 12m op de verdieping. Plat dak.
De natuurliefhebber komt hier ook helemaal aan z'n trekken met in de nabije omgeving het natuurreservaat de Doode Bemde.
Mogelijkheid tot aankoop lot 1 en/of lot 3.
Bâtiment
Type de propriété
Terrain
Sous-type
Terrain à bâtir
Nouveau bâtiment
Non
Terrain
Surface de la parcelle
598 m²
Affectation urbanistique
Zone résidentielle à caractère rural
Orientation jardin
Sud
Aménagement
Nombre de chambres
0
Nombre de salles de bain
0
Nombre de toilettes
0
Confort
Ascenseur
Non
Énergie
Niveau E
0
Certificat d’inspection de l’électricité
Oui, non conforme
Urbanisme
Permis de lotissement
Oui
Droit de préemption
Oui
G(bâtiment)-score
D (probabilité moyenne d’inondation dans le climat actuel)
Localité
Dorpsstraat 73, 3040 Neerijse249.000 EUR
Localité
Dorpsstraat 73
3040 Neerijse







