Maison à vendre à Geel avec 3 chambres
Description
Welkom in deze charmante hoeve met 3 slaapkamers en op een ruim perceel van 916 m² in de dorpskern van Ten Aard. De bewoonbare oppervlakte bedraagt ca. 160 m².
Achter de woning ligt de veranda, waar je het ganse jaar van de tuin kan genieten. Aangrenzend bevindt zich een eetkamer en keuken.
De open zolder met de ronde balken straalt authenticiteit uit; klaar om ingericht te worden; basic of très chique.
Wie wil, kan tijdens de werken al in de woning wonen. Zo spaar je een dubbele betaling aan huur uit.
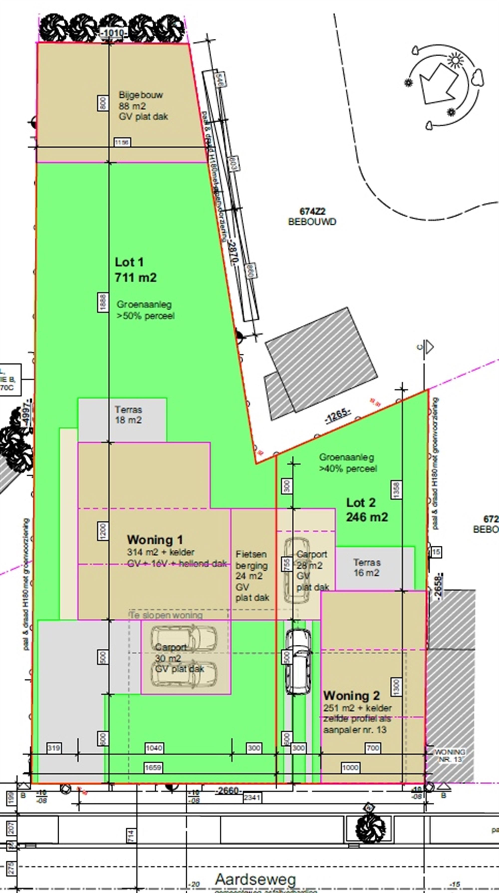
Volgens de verkaveling die destijds werd getekend, kan je na sloop een HOB zetten tegen het kapsalon, en links een vrijstaande woning.
Door de heersende gunstmaatregelen voor eerste en enige woning of vervanger, kan dit mogelijk aan 2% registratie en 6%BTW!
Nadien kan het tweede perceel als tuin dienst doen, of je kan het verkopen.
Is jouw interesse geprikkeld? Contacteer Nxxt Vastgoed voor een bezoek!
Jouw Nxxt Step
Wilt je jouw vastgoed verkopen of verhuren? Neem contact op met Nxxt Vastgoed voor een gesprek. Wij combineren jouw wensen aan de mogelijkheden die het pand biedt. Samen maken we van jouw vastgoeddroom een succesvolle Nxxt Step!
Algemene informatie:
- Bouwjaar: +/- 1925
- Renovatie +/- 1995
- Aluminium ramen met dubbel glas
- Elektriciteit werd deels vernieuwd, maar is niet conform
- Woongedeelte werd op zolder geïsoleerd
- Bewoning tijdens werken mogelijk
- Verschillende premies beschikbaar
- Vervallen verkavelingsvergunning - was goedgekeurd voor 2 woningen
- Mooie uitvalsbasis voor wie houdt van fietsen of wandelen
- Wandelafstand van kleuter- en lagere school
- Bushaltes op 200m
Attesten:
- Asbestattest: Asbestveilig
- EPC: F - 573
- P-score: B
- G-score: B
Financieel:
- Verkoop onder registratie, geen BTW van toepassing
- 3% registratie mogelijk voor wie koopt als eerste en enige woning of vervanging van eerste en enige woning
- 6% BTW mogelijk voor afbraak en wederopbouw of renovatie
Finances
Bâtiment
Terrain
Aménagement
Confort
Énergie
Urbanisme
Localité
Aardseweg 15, 2440 Geel339.000 EUR
Localité
Aardseweg 15
2440 Geel















