Terrain à vendre à Wavre-Sainte-Catherine
Description
Uitstekend gelegen bouwgrond voor open bebouwing in Onze-Lieve-Vrouw-Waver
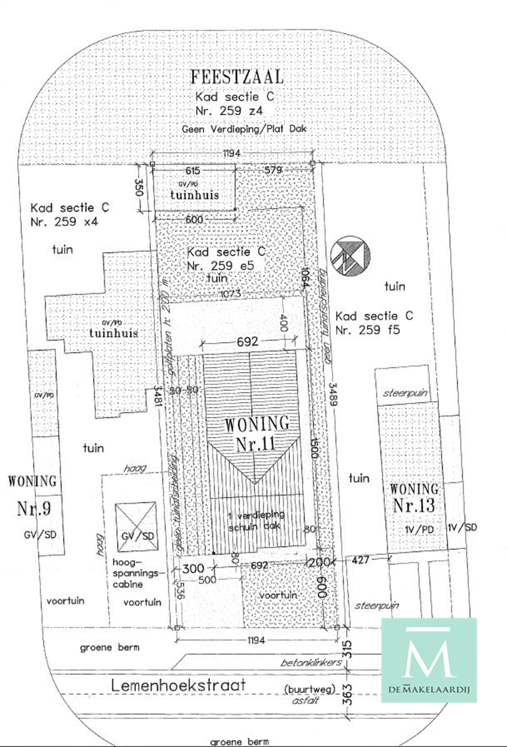
Dit mooie en bouwrijpe perceel van 415m² is gelegen net buiten het centrum van Onze-Lieve-Vrouw-Waver in een verkeersluwe straat. Het perceel is ongeveer 12m breed en 35m diep.
Er horen bij dit perceel ook vergunde bouwplannen voor een open bebouwing. Deze vindt u terug onder de sectie 'Documenten'.
Deze plannen bestaan uit:
- Een kelder van 26m²
- Gelijkvloers van 6.92m x 15m
- Eerste verdiep van 6.92m x 15m
- Zolder van 6.92m x 3.57m
- Tuinhuis van 6.15m x 3.50m
Goed voor een woning met 3 slaapkamers (+ zolder) en een totale bewoonbare oppervlakte van ca. 232m². U mag natuurlijk steeds een eigen ontwerp op het perceel realiseren.
Aangezien er op dit perceel een oude woning gesloopt is kan u mits u voldoet aan de voorwaarden genieten van een 6% BTW-tarief voor sloop & heropbouw.
Contacteer ons voor meer info op 015/20.20.82 of info@demakelaardij.be
Finances
Bâtiment
Terrain
Urbanisme
Localité
Lemenhoekstraat 11, 2861 Wavre-Sainte-Catherine195.000 EUR
Localité
Lemenhoekstraat 11
2861 Wavre-Sainte-Catherine




