Terrain à vendre à Brecht
175 000 €
Est-ce faisable pour vous?Description
Terrain à vendre à Sint-Job-in-'t-Goor pour HOB !
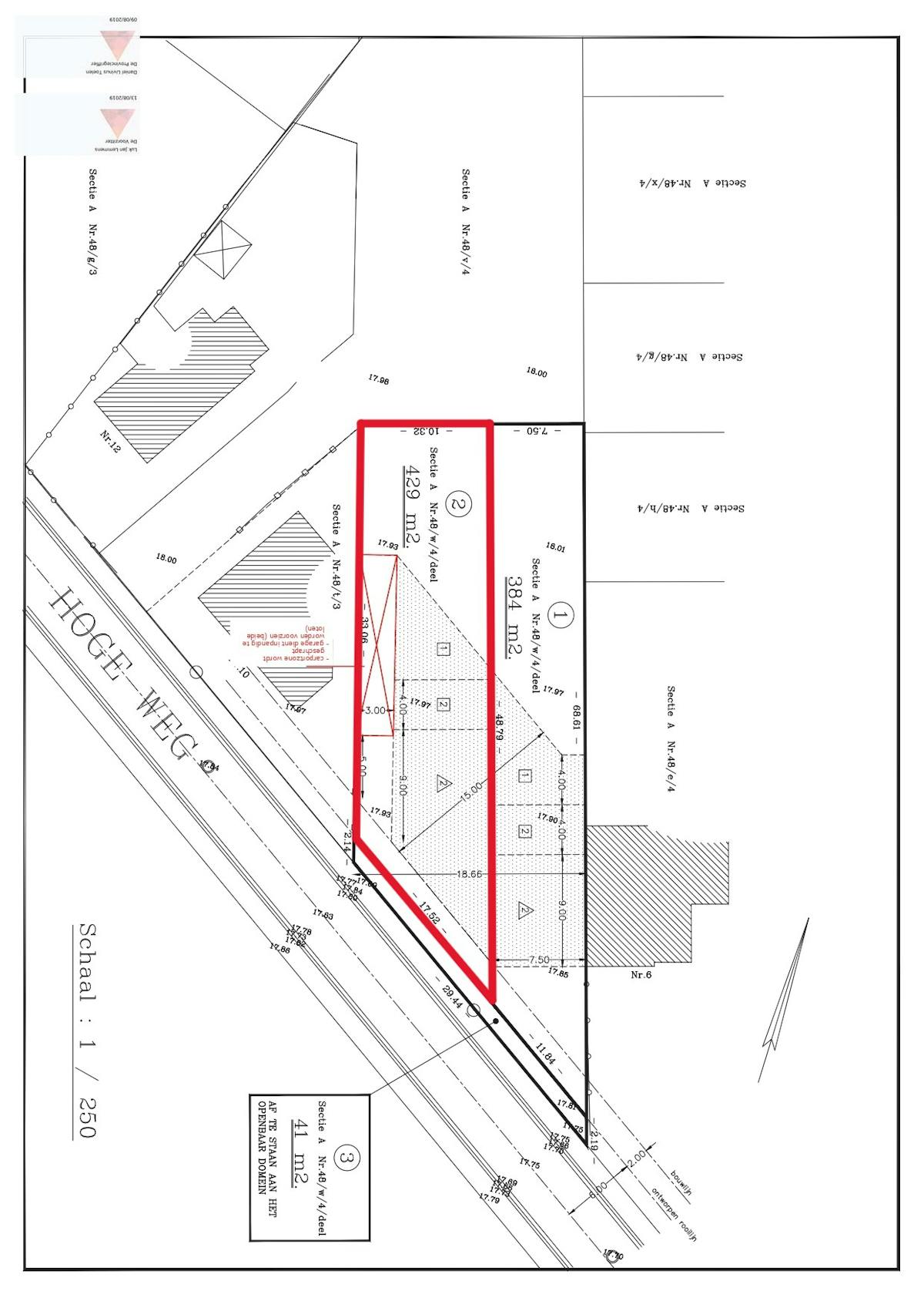
Dimensions du lot 2- superficie d'environ 429 m²- largeur de la rue : env. 17,52 m- profondeur : env. 33 mLes règles de construction sont les suivantes :- Largeur de construction 7,81 mètresIl n'est pas obligatoire de construire la zone de construction sur toute la largeur.- Mur latéral situé à au moins 3 mètres de la ligne de parcelle et en bordure de parcelle avec le lot 1. Un mur de séparation commun sera construit entre la zone de construction.Profondeur maximale du bâtiment :- 15 m² au rez-de-chaussée- 13 m² au premier étageHauteurs maximales :- Hauteur de corniche de 6 m- Hauteur de faîtage 10,50Garage intérieur obligatoireDivers :- Proche des transports en commun et du centre- Situé dans un lotissement approuvéLe terrain est proposé selon la formule Power-Sale. Du 01/09/2025 au 30/09/2025, vous pouvez faire une offre. Le prix indiqué est un prix initial. Pour plus d'informations, veuillez contacter le gestionnaire de fichiers.Acheter ou louer (ou louer) à Brecht, Malle, Hoogstraten ou Wuustwezel ?Si vous avez des questions, vous pouvez toujours nous contacter ! Immobilier Dewaele à Wuustwezel
Bâtiment
Type de propriété
Terrain
Année de construction
0
Terrain
Surface de la parcelle
429 m²
Affectation urbanistique
Zone résidentielle
Aménagement
Nombre de chambres
0
Nombre de salles de bain
0
Nombre de toilettes
0
Urbanisme
Permis de construire
Oui
Droit de préemption
Non
P(arcelle)-score
A (pas d’inondation modélisée)
Localité
Hogeweg 8, 2960 Brecht175.000 EUR
Localité
Hogeweg 8
2960 Brecht














