Terrain à vendre à Termonde
175 000 €
Est-ce faisable pour vous?Description
Malheureusement, la description n'est pas disponible dans la langue sélectionnée.
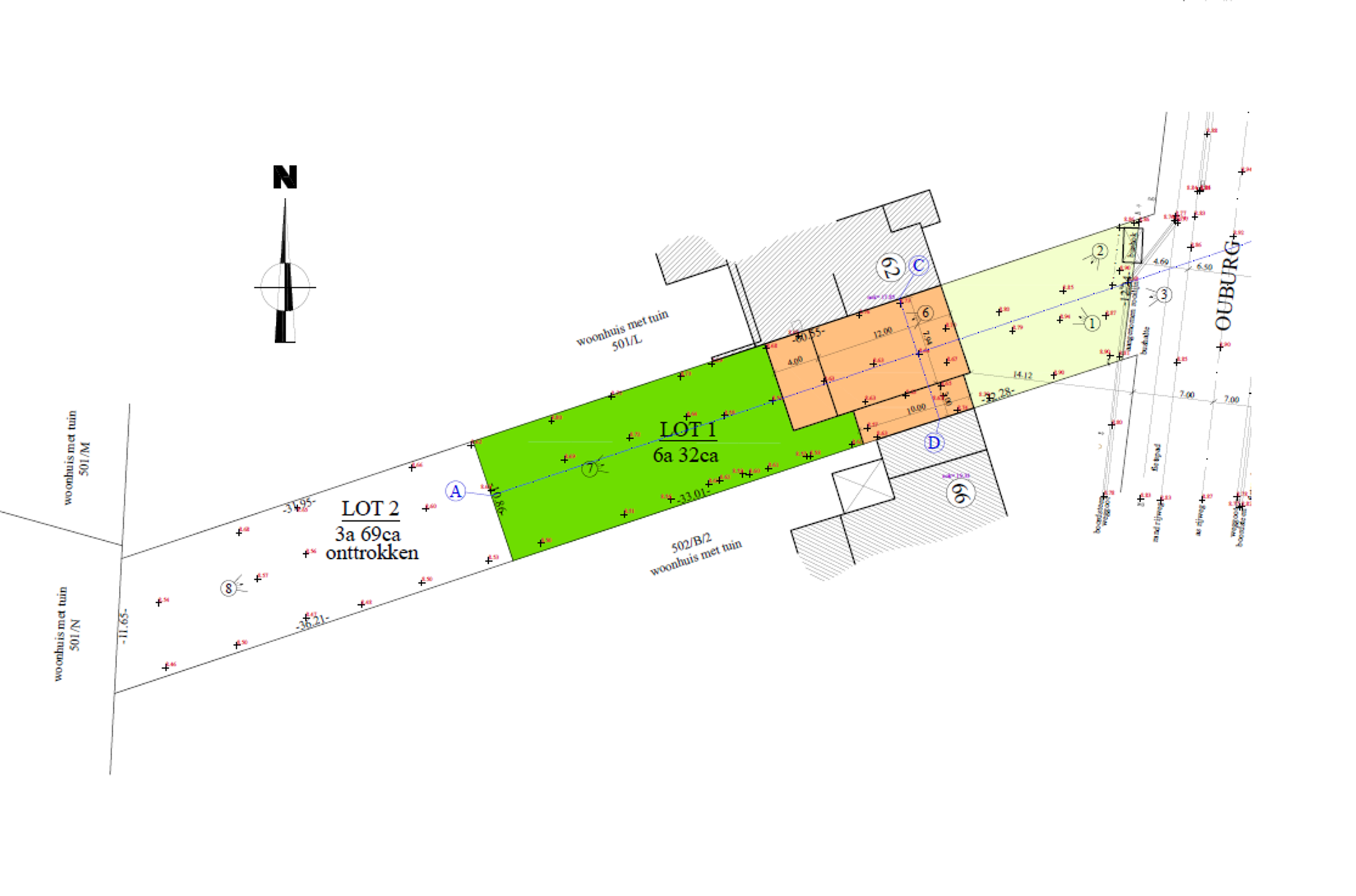
Dit perceel, gelegen in een goedgekeurde verkaveling, heeft een totale oppervlakte van zo'n 1.001 m² (zie plan lot 1 en lot 2) en is geschikt voor het creëren van een gesloten woning. De straatbreedte bedraagt ongeveer 10,94 meter. De maximale bouwdiepte bedraagt 16 meter op het gelijkvloers en 12 meter op de verdieping voor het hoofdgebouw. Over een breedte van 3 meter dient men links aan te sluiten met één bouwlaag, het hoofdgebouw dient twee bouwlagen met een zadeldak te bezitten.
De verkavelingsvoorschriften bepalen dat de bouwlijn, kroonlijsthoogte en voorste dakhelling van het rechts aanpalende gebouw moeten gevolgd worden. De aanbouw achteraan de woning mag maximaal 3,50 m hoog zijn. Aan de linkerzijde wordt over een strook van 3 meter de bouwlijn van het links aanpalend gebouw gevolgd. Meer info omtrent de bouwmogelijkheden te verkrijgen op kantoor.
Deze bouwgrond bevindt zich op een rustige en landelijke ligging in Ouburg, een aangename woonwijk net buiten het centrum van Oudegem. De omgeving wordt gekenmerkt door een groene, open sfeer en vlotte verbindingen richting Dendermonde, Wetteren en de E17. Winkels, scholen en openbaar vervoer zijn bereikbaar op korte afstand, wat deze locatie ideaal maakt voor wie rustig wil wonen met alle voorzieningen binnen handbereik. Voor meer info, contacteer Tijl via 0477 44 86 11.
De verkavelingsvoorschriften bepalen dat de bouwlijn, kroonlijsthoogte en voorste dakhelling van het rechts aanpalende gebouw moeten gevolgd worden. De aanbouw achteraan de woning mag maximaal 3,50 m hoog zijn. Aan de linkerzijde wordt over een strook van 3 meter de bouwlijn van het links aanpalend gebouw gevolgd. Meer info omtrent de bouwmogelijkheden te verkrijgen op kantoor.
Deze bouwgrond bevindt zich op een rustige en landelijke ligging in Ouburg, een aangename woonwijk net buiten het centrum van Oudegem. De omgeving wordt gekenmerkt door een groene, open sfeer en vlotte verbindingen richting Dendermonde, Wetteren en de E17. Winkels, scholen en openbaar vervoer zijn bereikbaar op korte afstand, wat deze locatie ideaal maakt voor wie rustig wil wonen met alle voorzieningen binnen handbereik. Voor meer info, contacteer Tijl via 0477 44 86 11.
Finances
Ventes sous régime de TVA
Non
Surface cadastrale
1.001 m²
Bâtiment
Type de propriété
Terrain
Sous-type
Terrain à bâtir
Terrain
Surface de la parcelle
1.001 m²
Affectation urbanistique
Zone résidentielle
Profondeur de la parcelle
55 m
Lieu
Environs / quartier
Central; Village
Transports en commun à proximité
Oui
Urbanisme
Intimation en justice
Non
Condamner
Non
Permis de construire
Non
Localité
Ouburg 64, 9200 Termonde175.000 EUR
Localité
Ouburg 64
9200 Termonde




