Land for sale in Ekeren
Description
Villa
Newly built charming villa in green area near village center.
Ideal location: within walking distance of the village, near schools, stores, park, public transport and easy access to E19/Ring/Havenweg.
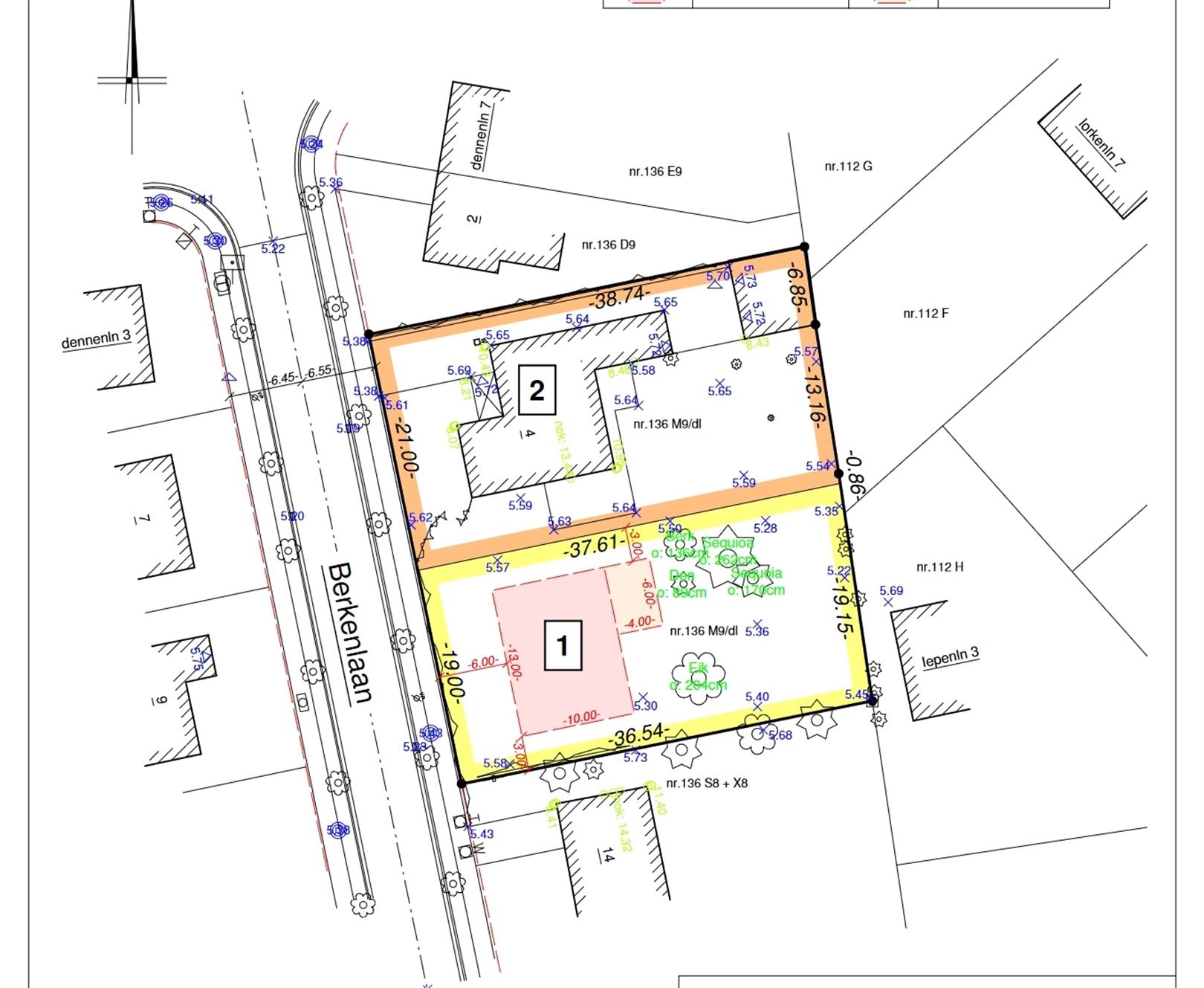
Wide villa plot 20m x 33,25m = 665m². Lot 2 of the subdivision.
Villa, this example:
V0: approx 120m², entrance hall with checkroom and guest toilet, fitted kitchen 33m² with island on covered terrace with storage room, utility room, lounge 25m².
V1: 113,4m² with 3 bedrooms: master 24m² with ensuite bathroom and room for dressing room and 2 spacious children's bedrooms 12,6m². 2nd bathroom. Office room (or nursery).
V2: (roof floor via fixed staircase, not yet furnished) approx 57m², room for bedroom, 3rd bathroom, technical storage room.
OPTION: Double basement garage and basement storage ca €35,000.
EXTRA:
* Underfloor heating
* BEN 20: advantages property tax exemption and low consumption
SINJOOR is an approved VERELST partner
Financial
Building
Terrain
Location
Comfort
Energy
Urban planning
Location
Berkenlaan 6, 2180 Ekeren385.000 EUR
Location
Berkenlaan 6
2180 Ekeren
















