Land for sale in Mol
€159,000
Is this affordable for you?Description
Unfortunately, the description is not available in the selected language.
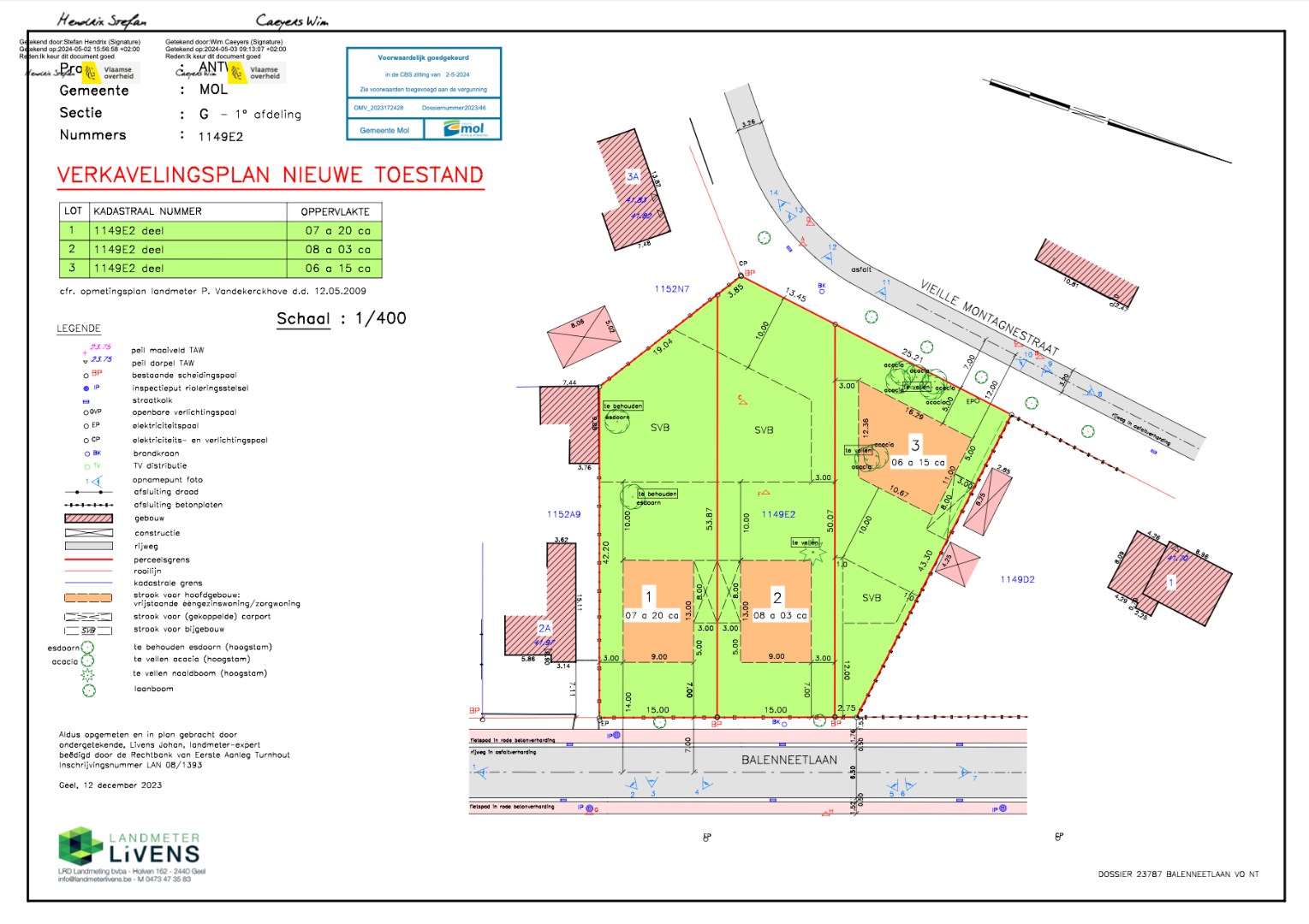
Deze ruime bouwgrond van 803 m² is ideaal gelegen in Wezel, met een vlotte verbinding naar omliggende gemeenten. De locatie combineert rust met bereikbaarheid, perfect voor wie op zoek is naar een aangename woonomgeving.
Het perceel beschikt over een straatbreedte van 15 meter en een diepte van 53,87 meter, en is bestemd voor open bebouwing. De toekomstige woning mag een maximale gevelbreedte van 9 meter hebben en een bouwdiepte van maximaal 12 meter.
Bouwvoorschriften:
- Gelijkvloers: maximaal 9 m breed en 12 m diep
- Vrije keuze van dakvorm
- Mogelijkheid tot het plaatsen van een tuinhuis van 12 m²
- Toegankelijk via 2 straten
* De render is visueel om een idee te geven voor een potentiële koper.
Het perceel beschikt over een straatbreedte van 15 meter en een diepte van 53,87 meter, en is bestemd voor open bebouwing. De toekomstige woning mag een maximale gevelbreedte van 9 meter hebben en een bouwdiepte van maximaal 12 meter.
Bouwvoorschriften:
- Gelijkvloers: maximaal 9 m breed en 12 m diep
- Vrije keuze van dakvorm
- Mogelijkheid tot het plaatsen van een tuinhuis van 12 m²
- Toegankelijk via 2 straten
* De render is visueel om een idee te geven voor een potentiële koper.
Financial
Availability
From deed
Building
Type of property
Plot
Façade width street side
9 m
Terrain
Plot size
803 m²
Most recent urban destination
Residential area
Orientation garden
Southwest
Comfort
Electricity connection
Yes
Connection sewerage
Yes
Water connection
Yes
Urban planning
Summons
No judicial remedial or administrative measure imposed
Building permit
Yes
Subdivision permit
Yes
Media & downloads
Video
https://vimeo.com/1074570572?share=copy#t=0
Location
Vieille Montagnestraat 3 2, 2400 Mol159.000 EUR
Location
Vieille Montagnestraat 3 2
2400 Mol
Is this affordable for you?
Minimal personal contribution
-EUR
Monthly payments
-EUR/month
Prefer a tailor-made proposal?
Tell us more about your project and your personal situation and KBC will calculate your personal interest rate. You will receive immediate feedback on whether your loan is feasible and you can complete your application completely digitally. Even if you are not a KBC customer.













