Land for sale in Mol
€139,000
Is this affordable for you?Description
Unfortunately, the description is not available in the selected language.
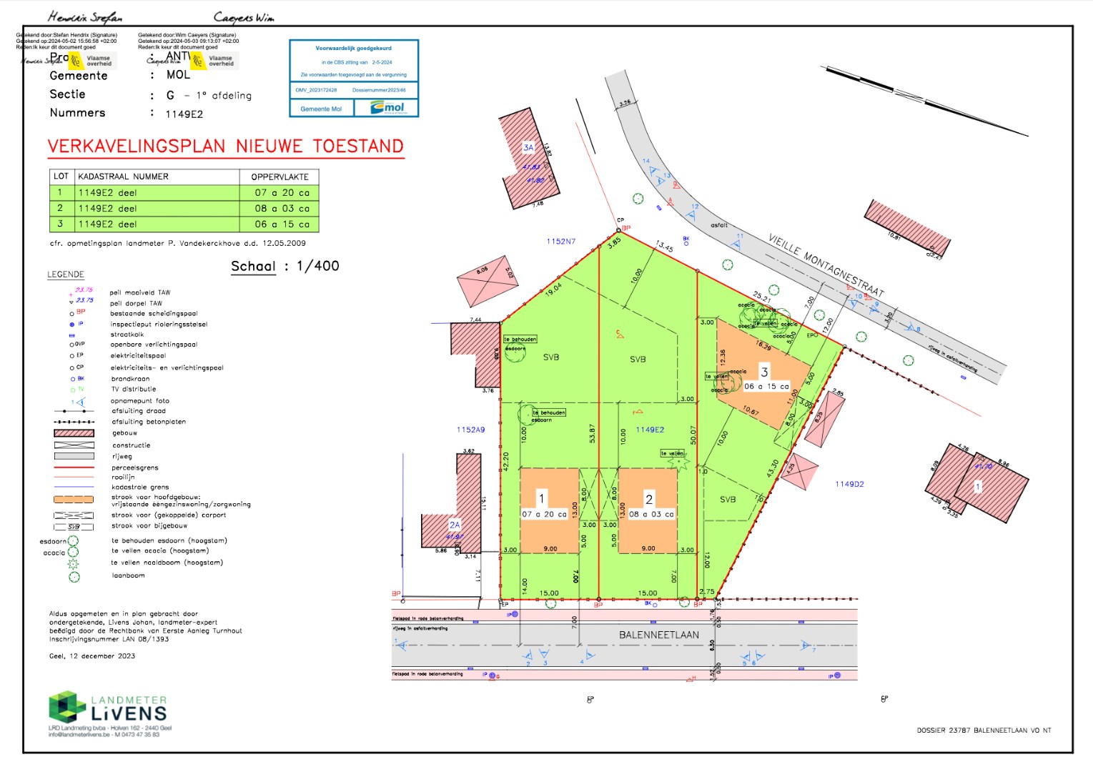
Deze bouwgrond van 615 m² is ideaal gelegen in Wezel, met een vlotte verbinding naar omliggende gemeenten. De locatie combineert rust met bereikbaarheid, perfect voor wie op zoek is naar een aangename woonomgeving.
Het perceel beschikt over een straatbreedte van 25,21meter en een diepte van 50,07meter, en is bestemd voor open bebouwing. De toekomstige woning mag een maximale gevelbreedte van 16,29 meter hebben en een bouwdiepte van maximaal 12 meter.
Bouwvoorschriften:
- Gelijkvloers: maximaal 25,21 m breed en 12 m diep
- Vrije keuze van dakvorm
- Mogelijkheid tot het plaatsen van een tuinhuis van 12 m²
- Toegankelijke via 2 straten
- Inpandige garage verplicht
* De render is visueel om een idee te geven voor een potentiële koper.
Het perceel beschikt over een straatbreedte van 25,21meter en een diepte van 50,07meter, en is bestemd voor open bebouwing. De toekomstige woning mag een maximale gevelbreedte van 16,29 meter hebben en een bouwdiepte van maximaal 12 meter.
Bouwvoorschriften:
- Gelijkvloers: maximaal 25,21 m breed en 12 m diep
- Vrije keuze van dakvorm
- Mogelijkheid tot het plaatsen van een tuinhuis van 12 m²
- Toegankelijke via 2 straten
- Inpandige garage verplicht
* De render is visueel om een idee te geven voor een potentiële koper.
Financial
Availability
From deed
Building
Type of property
Plot
Façade width street side
16,29 m
Terrain
Plot size
615 m²
Most recent urban destination
Residential area
Orientation garden
Southeast
Comfort
Electricity connection
Yes
Connection sewerage
Yes
Water connection
Yes
Urban planning
Summons
No judicial remedial or administrative measure imposed
Building permit
Yes
Subdivision permit
Yes
Media & downloads
Video
https://vimeo.com/1074570572?share=copy#t=0
Location
Vieille Montagnestraat 3 3, 2400 Mol139.000 EUR
Location
Vieille Montagnestraat 3 3
2400 Mol
Is this affordable for you?
Minimal personal contribution
-EUR
Monthly payments
-EUR/month
Prefer a tailor-made proposal?
Tell us more about your project and your personal situation and KBC will calculate your personal interest rate. You will receive immediate feedback on whether your loan is feasible and you can complete your application completely digitally. Even if you are not a KBC customer.












