Land for sale in Balen
€174,500
Is this affordable for you?Description
Unfortunately, the description is not available in the selected language.
- OPTIE - prachtige bouwgrond voor open bebouwing te koop in Balen-Wezel.
De grond is gelegen in een residentiële buurt, recht tegenover kleuter- en basisschool De Bosmier. Het perceel ligt in een rustige straat maar toch heel dicht bij de Zuiderring en het centrum van Balen, Mol en Lommel. U kan bovendien genieten in de privacy van uw zuidwestelijk gerichte tuin die aansluit op het natuurgebied.
De bouwgrond maakt deel uit van de goedgekeurde niet-vervallen verkaveling V72/19 van 05/03/1973. De verkavelingsvergunning, het goedgekeurd verkavelingsplan en de stedenbouwkundige voorschriften zijn beschikbaar op aanvraag.
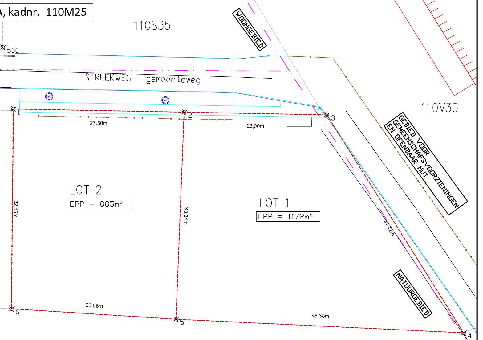
Lot1:
totale oppervlakte: 1.172 m²
perceelbreedte aan de straat: 23 + 41 meter (hoekperceel)
perceeldiepte van het perceel: 33 meter
prijs: € 174.500
Het perceel is momenteel in optie.
De grond is gelegen in een residentiële buurt, recht tegenover kleuter- en basisschool De Bosmier. Het perceel ligt in een rustige straat maar toch heel dicht bij de Zuiderring en het centrum van Balen, Mol en Lommel. U kan bovendien genieten in de privacy van uw zuidwestelijk gerichte tuin die aansluit op het natuurgebied.
De bouwgrond maakt deel uit van de goedgekeurde niet-vervallen verkaveling V72/19 van 05/03/1973. De verkavelingsvergunning, het goedgekeurd verkavelingsplan en de stedenbouwkundige voorschriften zijn beschikbaar op aanvraag.
Lot1:
totale oppervlakte: 1.172 m²
perceelbreedte aan de straat: 23 + 41 meter (hoekperceel)
perceeldiepte van het perceel: 33 meter
prijs: € 174.500
Het perceel is momenteel in optie.
Financial
Availability
From deed
Building
Type of property
Plot
Type of buildings
Open
Asbestos certificate
No
Terrain
Plot size
1.172 m²
Buildable area
1.172 m²
Energy
Charging station
No
Urban planning
Urban planning info
Yes
Cadastral plan
No
Convict
No
Location
Streekweg 6, 2490 Balen174.500 EUR
Location
Streekweg 6
2490 Balen













