Land for sale in Lier
€195,000
Is this affordable for you?Description
Unfortunately, the description is not available in the selected language.
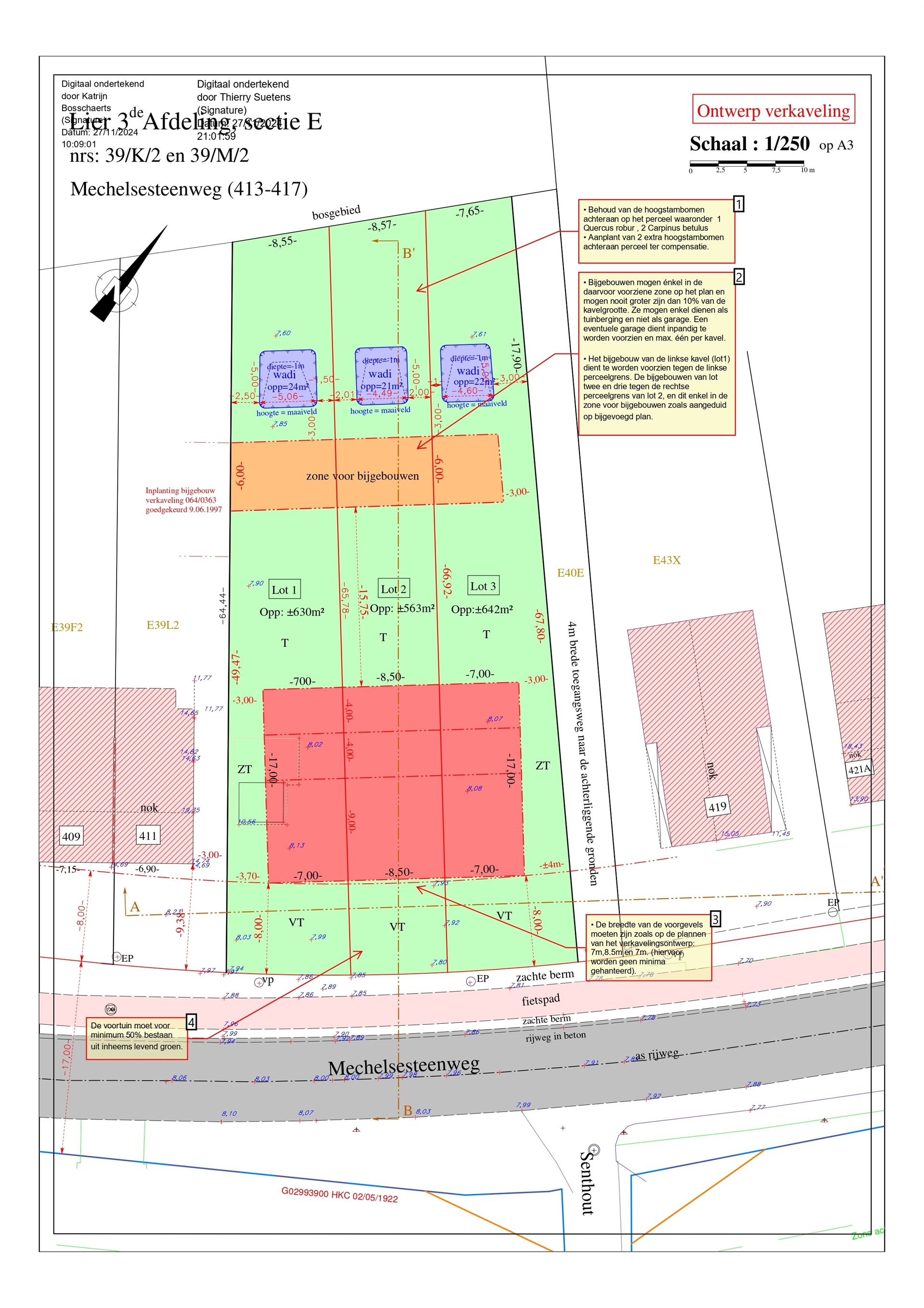
Deze bouwgrond voor een halfopen bebouwing is gelegen op een goede verbindingsas tussen Lier en Mechelen, nabij het centrum van Duffel.
De bouwgronden grenzen aan een natuurgebied met vijver en kijken in de verte uit de op de Netedijk.
De bouwgrond heeft een oppervlakte bedraagt ca. 630m² en de straatbreedte bedraagt 10,70m.
(kan samen aangekocht worden met loten 2 & 3)
stedenbouwkundige voorschriften beschikbaar
Mobiscore : 8/10
Building
Type of property
Plot
Subtype
Plot
Type of buildings
Semi-open
Terrain
Plot size
630 m²
Most recent urban destination
Residential area
Plot width
10,7 m
Comfort
Gas connection
Yes
Water connection
Yes
Telephone
Yes
Urban planning
Subdivision permit
Yes
Pre-emption right
No
G-score (building score)
A (no flood modeled)
Location
Mechelsesteenweg 413, 2500 Lier195.000 EUR
Location
Mechelsesteenweg 413
2500 Lier
Is this affordable for you?
Minimal personal contribution
-EUR
Monthly payments
-EUR/month
Prefer a tailor-made proposal?
Tell us more about your project and your personal situation and KBC will calculate your personal interest rate. You will receive immediate feedback on whether your loan is feasible and you can complete your application completely digitally. Even if you are not a KBC customer.











