Scoop: Land for sale in Zoersel
Description
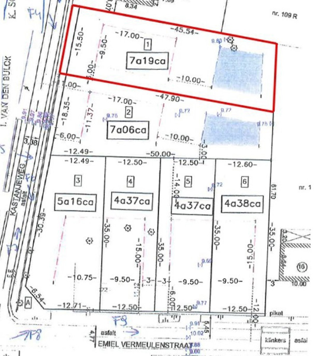
Mooi gelegen bouwgrond van 719m² voor een vrijstaande woning.
Deze bouwkavel is rustig gelegen nabij het dorp van Sint-Antonius Zoersel op wandelafstand van het natuurgebied Hegte Heyde en het ziekenhuis AZ Voorkempen. Openbaar vervoer op slecht 550m wandelen. De snelweg E19 op 7,5km, het treinstation Noorderkempen te Brecht op 11km.
Het bouwrijpe perceel is gelegen in een doodlopende straat, heeft een perceelbreedte van 15,50m en diepte van +/- 46m.
De tuin heeft een perfecte ZUID-ORIENTATIE.
Er staan geen bomen op het eigen perceel dus echt bouwrijp zonder extra kosten voor ontbossing!
Belangrijkste bouwvoorschriften:
- Bouwzone 9,5m breed x 17m diep
- Bouwstijl vrij te kiezen
- Indien gewenst > 300m² woonruimte mogelijk
- Kroonlijsthoogte 6m met een schuin dak
- Kroonlijsthoogte 7m met een plat dak
- Maximale nokhoogte 11m
- Dakvorm vrij te kiezen
- Bijgebouw van maximaal 75m² toegelaten
- GEEN BOUWVERPLICHTING – bouw wanneer het u uitkomt!
Voor alle verdere info, bel of mail ons (lieven@coga.be)
Bestuursmaatregelen in het maatregelenregister : geen
Building
Terrain
Location
Comfort
Urban planning
Location
Kastanjeweg 9, 2980 ZoerselIs this affordable for you?
Prefer a tailor-made proposal?
Tell us more about your project and your personal situation and KBC will calculate your personal interest rate. You will receive immediate feedback on whether your loan is feasible and you can complete your application completely digitally. Even if you are not a KBC customer.















