Land for sale in Haacht
€208,000
Is this affordable for you?Description
Unfortunately, the description is not available in the selected language.
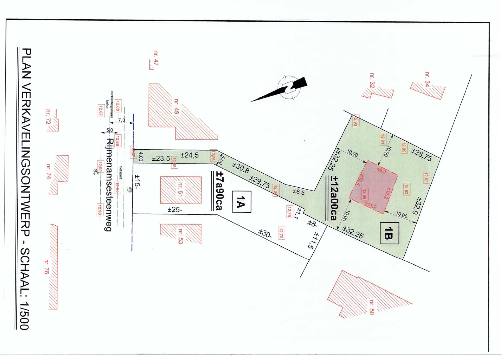
Deze bouwgrond voor open bebouwing ligt op slechts een steenworp van het centrum van Haacht (achterliggende bouwgrond aan de Rijmenamsesteenweg), maar biedt toch rust dankzij de ligging in een binnengebied. De privatieve oprit van ongeveer 53 m geeft toegang tot een perceel waar u de woning van uw dromen kunt realiseren. U kunt een woning bouwen met een maximaal vloeroppervlak van ongeveer 130 m² en een kroonlijsthoogte van maximaal 3,50 m. Daarnaast is er de mogelijkheid om een carport van maximaal 21 m² en een tuinberging van maximaal 12 m² te bouwen.
Komt in aanmerking voor afbraak en heropbouw - bouwen aan 6% BTW !!!!
Voor meer informatie over de voorschriften kunt u de details downloaden via www.altro-vastgoed.be.
U hebt een baksteen in de maag en wil spoedig starten aan uw droomwoning ? Dan kan dit de uwe worden, neem contact op met uw makelaar - nico@altro-vastgoed.be
Komt in aanmerking voor afbraak en heropbouw - bouwen aan 6% BTW !!!!
Voor meer informatie over de voorschriften kunt u de details downloaden via www.altro-vastgoed.be.
U hebt een baksteen in de maag en wil spoedig starten aan uw droomwoning ? Dan kan dit de uwe worden, neem contact op met uw makelaar - nico@altro-vastgoed.be
Financial
Price
208.000 €
Investment real estate
No
Building
Type of property
Plot
Subtype
Plot
Depth building
11,2 m
Terrain
Plot size
1.200 m²
Buildable area
126 m²
Most recent urban destination
Mixed residential area
Location
Public transport nearby
Yes
Distance to public transport
100 m
School nearby
Yes
Urban planning
Summons
No
Building permit
No
G-score (building score)
A (no flood modeled)
Location
Rijmenamsesteenweg 49 A, 3150 HaachtIs this affordable for you?
Minimal personal contribution
-EUR
Monthly payments
-EUR/month
Prefer a tailor-made proposal?
Tell us more about your project and your personal situation and KBC will calculate your personal interest rate. You will receive immediate feedback on whether your loan is feasible and you can complete your application completely digitally. Even if you are not a KBC customer.










