Garage for sale in Koolkerke
€32,000
Is this affordable for you?Description
Unfortunately, the description is not available in the selected language.
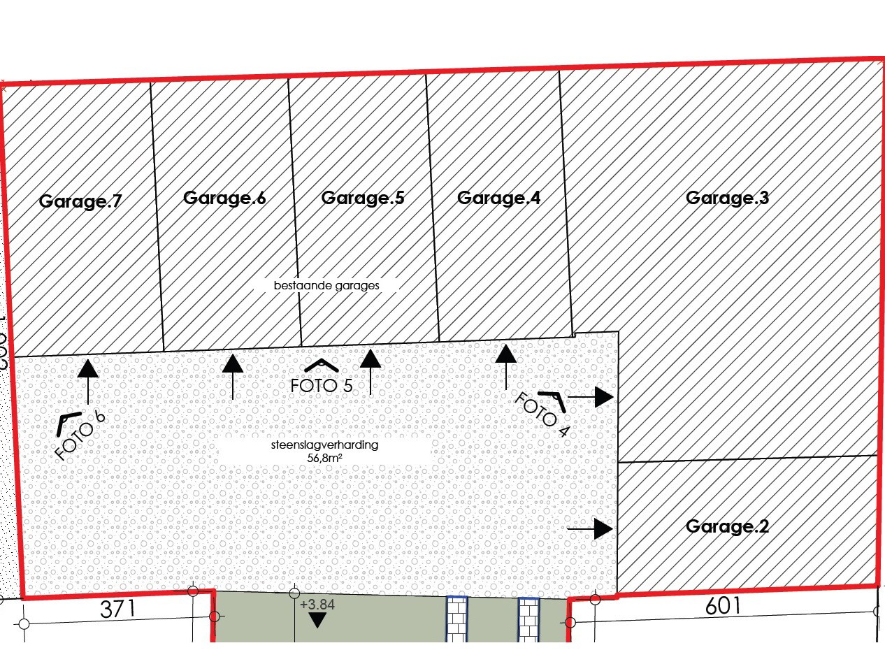
Ter hoogte van de Brugse Steenweg n° 174 in Brugge (Koolkerke) zijn een aantal garages te koop.
Het betreft hier bestaande garages die zullen worden gereinigd en voorzien van een nieuwe poort.
Er wordt ook een oprit aangelegd.
Het betreft hier bestaande garages die zullen worden gereinigd en voorzien van een nieuwe poort.
Er wordt ook een oprit aangelegd.
Financial
Availability
Upon delivery
Building
Type of property
Garage / Parking
Subtype
Garage
State building
Good
Terrain
Plot size
15 m²
Most recent urban destination
Residential area
Urban planning
Summons
No
Summons
No judicial remedial or administrative measure imposed
Building permit
Yes
Location
Brugse Steenweg 174, 8000 KoolkerkeIs this affordable for you?
Minimal personal contribution
-EUR
Monthly payments
-EUR/month
Prefer a tailor-made proposal?
Tell us more about your project and your personal situation and KBC will calculate your personal interest rate. You will receive immediate feedback on whether your loan is feasible and you can complete your application completely digitally. Even if you are not a KBC customer.













