Description
Unfortunately, the description is not available in the selected language.
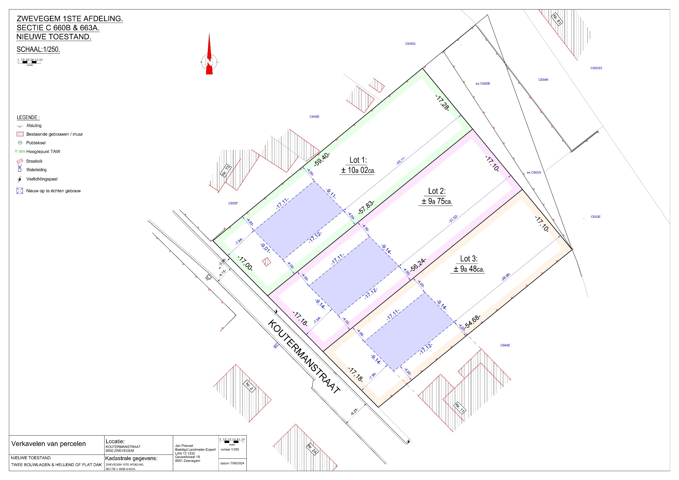
Op zoek naar een uniek perceel bouwgrond op 1.002 m² gelegen tussen Zwevegem en Bellegem op een boogscheut van alle nodige faciliteiten en invalswegen, dan is dit uw kans!
Het perceel leent zich perfect voor het bouwen van een alleenstaande villa met 2 bouwlagen en dak. Er is GEEN BOUWVERPLICHTING aanwezig. Heeft u de bouwkriebels te pakken? Contacteer ons gerust en we nodigen u graag uit bij ons op kantoor om de opties te bekijken, tot dan!
Het perceel leent zich perfect voor het bouwen van een alleenstaande villa met 2 bouwlagen en dak. Er is GEEN BOUWVERPLICHTING aanwezig. Heeft u de bouwkriebels te pakken? Contacteer ons gerust en we nodigen u graag uit bij ons op kantoor om de opties te bekijken, tot dan!
Financial
Cadastral info
Zwevegem 1 AFD/ZWEVEGEM sectie C
Availability
From deed
Building
Type of property
Plot
Type of buildings
Open
Terrain
Plot size
1.002 m²
Most recent urban destination
Residential area
Orientation garden
Northeast
Comfort
Gas connection
Yes
Connection sewerage
Yes
Water connection
Yes
Urban planning
Summons
No judicial remedial or administrative measure imposed
Building permit
No
Subdivision permit
No
285.570 EUR
Location
8550 Zwevegem













