Land for sale in Roeselare
€195,000
Is this affordable for you?Description
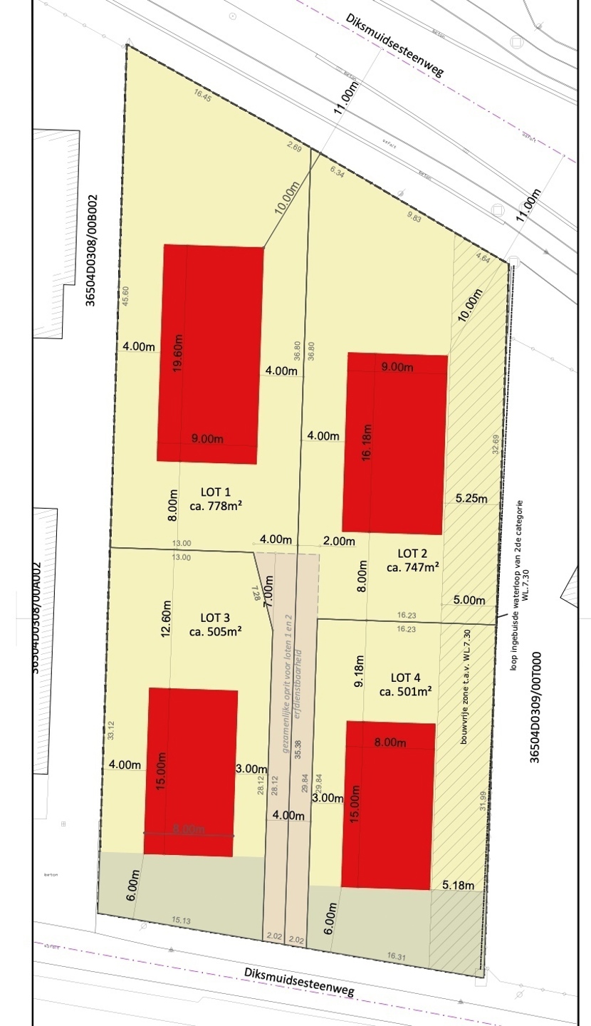
SUPERBLY LOCATED BUILDING PLOT of 747m2! For more info, IMMOBILIER BEGUIN: 0486 606 600.
Financial
Cadastral income
20 €
Building
Type of property
Plot
Subtype
Plot
Terrain
Plot size
747 m²
Urban planning
Flood-prone area
Not located in a flood-prone area
Location
Diksmuidsesteenweg, 8800 RoeselareIs this affordable for you?
Minimal personal contribution
-EUR
Monthly payments
-EUR/month
Prefer a tailor-made proposal?
Tell us more about your project and your personal situation and KBC will calculate your personal interest rate. You will receive immediate feedback on whether your loan is feasible and you can complete your application completely digitally. Even if you are not a KBC customer.















