Land for sale in Temse
€179,000
Is this affordable for you?Description
Unfortunately, the description is not available in the selected language.
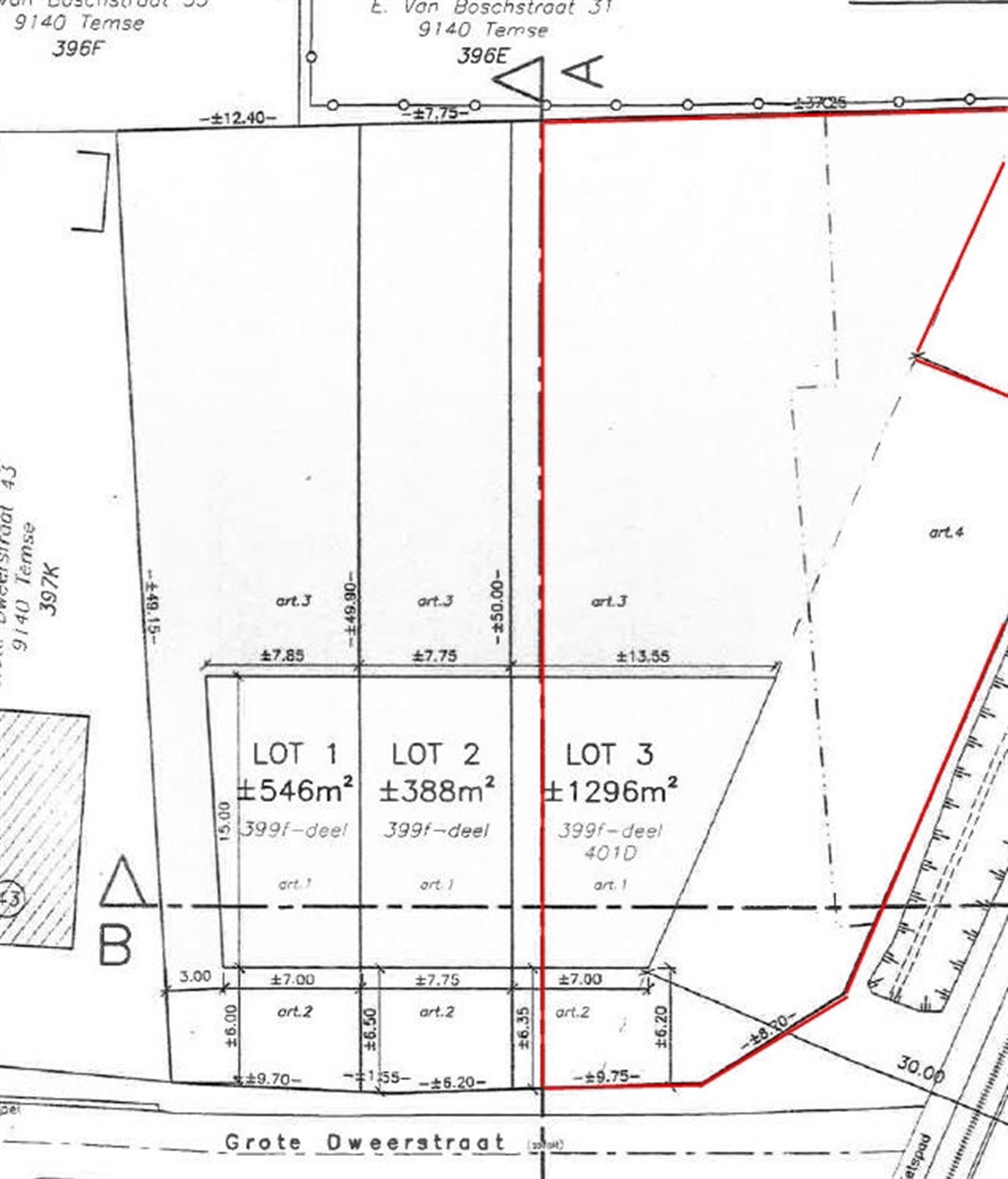
Beautiful piece of building land in a residential area on the outskirts of Temse
Financial
Availability
From deed
Building
Type of property
Plot
Subtype
Plot
Type of buildings
Semi-open
Terrain
Plot size
1.296 m²
Location
Grote Dweersstraat, 9140 Temse179.000 EUR
Location
Grote Dweersstraat
9140 Temse
















