Land for sale in Brakel
€169,000
Is this affordable for you?Description
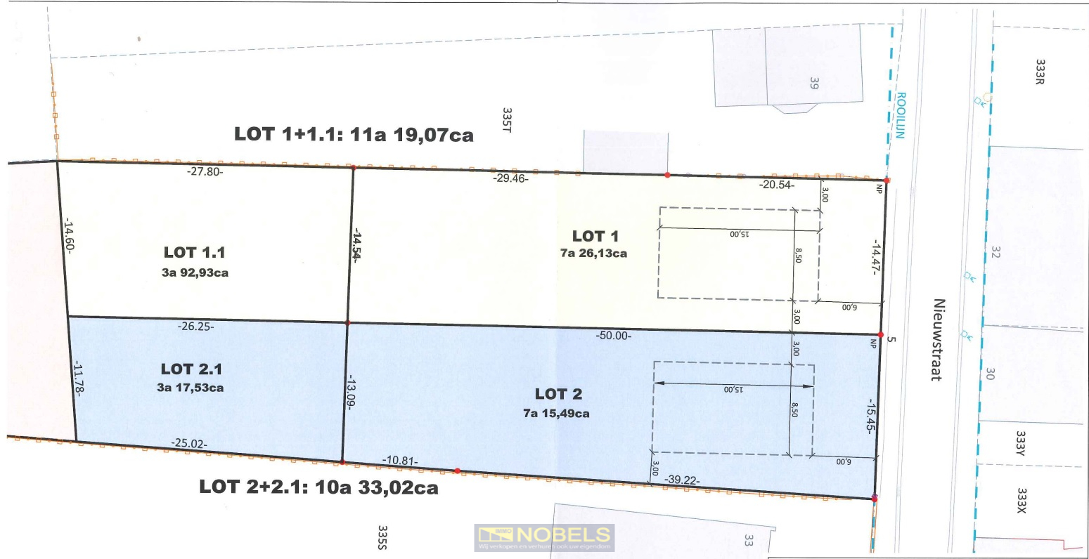
Te koop, zuidgerichte bouwgrond voor open bebouwing te Michelbeke (Brakel)
Perceel bouwgrond met ZUIDGERICHTE ORIËNTATIE en RUSTIGE LIGGING voor het realiseren van een OPEN BEBOUWING op een TERREIN VAN 1.033M² in het charmante Michelbeke (Brakel). Met een VOORGEVELBREEDTE VAN 8,5 METER en een bouwdiepte van 15 meter op het gelijkvloers en 12 meter op de verdieping, geniet u van ruime bouwmogelijkheden voor een LICHTRIJKE EN FUNCTIONELE GEZINSWONING. Bovendien is er de mogelijkheid tot het oprichten van een BIJGEBOUW TOT 40M². Gelegen in een GROENE EN LANDELIJKE OMGEVING met vlotte bereikbaarheid naar OMLIGGENDE GEMEENTEN EN VERBINDINGSWEGEN, combineert dit perceel rust met praktische toegankelijkheid.
Adres: Nieuwstraat 35 te Brakel
Geen bouwverplichting. P-score: A
Adres: Nieuwstraat 35 te Brakel
Geen bouwverplichting. P-score: A
Building
Type of property
Plot
Subtype
Plot
Constructed area
127,5 m²
Terrain
Plot size
1.033 m²
Most recent urban destination
Residential area with rural character
Orientation garden
South
Layout
Number of bedrooms
0
Number of bathrooms
0
Number of toilets
0
Comfort
Lift
No
Energy
E-level
0
Electricity inspection certificate
No
Urban planning
Subdivision permit
Yes
Pre-emption right
No
P-score (parcel score)
A (no flood modeled)
Location
Nieuwstraat 35, 9660 BrakelIs this affordable for you?
Minimal personal contribution
-EUR
Monthly payments
-EUR/month
Prefer a tailor-made proposal?
Tell us more about your project and your personal situation and KBC will calculate your personal interest rate. You will receive immediate feedback on whether your loan is feasible and you can complete your application completely digitally. Even if you are not a KBC customer.













