Land for sale in Lievegem
€533,000
Is this affordable for you?Description
Unfortunately, the description is not available in the selected language.
Dit mooi perceel bouwgrond is gelegen in Zomergem, deelgemeente van het groene, landelijke Lievegem.
Er is een vlotte verbinding naar de woonkernen van Zomergem, Waarschoot en Lovendegem, alsook een directe aansluiting met de N9.
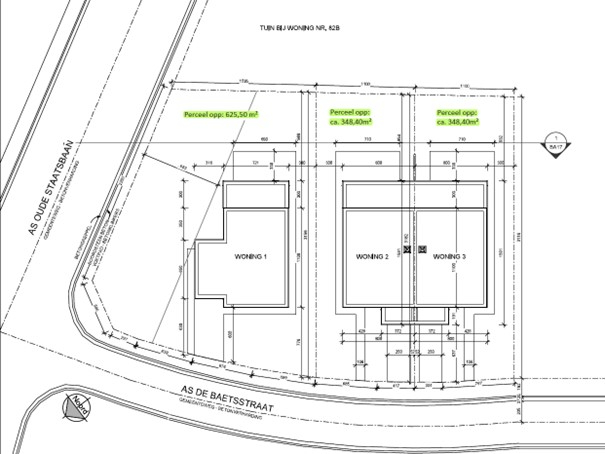
Het perceel heeft een oppervlakte van 1.322m² en biedt verschillende mogelijkheden: renovatie huidige woning, sloop en heropbouw of ontwikkeling van meerdere woonentiteiten.
Er is reeds een vergunning beschikbaar voor het bouwen van drie woningen: één open bebouwing en twee halfopen bebouwingen.
Alle informatie en plannen zijn op aanvraag te verkrijgen.
Interesse? Bel nu naar 0498/45.30.15 of mail naar kurt@vastgoeddevos.be .
Er is een vlotte verbinding naar de woonkernen van Zomergem, Waarschoot en Lovendegem, alsook een directe aansluiting met de N9.
Het perceel heeft een oppervlakte van 1.322m² en biedt verschillende mogelijkheden: renovatie huidige woning, sloop en heropbouw of ontwikkeling van meerdere woonentiteiten.
Er is reeds een vergunning beschikbaar voor het bouwen van drie woningen: één open bebouwing en twee halfopen bebouwingen.
Alle informatie en plannen zijn op aanvraag te verkrijgen.
Interesse? Bel nu naar 0498/45.30.15 of mail naar kurt@vastgoeddevos.be .
Financial
Cadastral income
416 €
Availability
From deed
Building
Type of property
Plot
Subtype
Plot
New building
No
Terrain
Plot size
1.322 m²
Most recent urban destination
Residential area with rural character
Layout
Number of bedrooms
0
Number of bathrooms
0
Number of toilets
0
Comfort
Lift
No
Energy
EPC score (kWh/(m² years))
1320
EPC label
F
E-level
0
Urban planning
Subdivision permit
No
Pre-emption right
No
G-score (building score)
A (no flood modeled)
Location
Oude Staatsbaan 80, 9930 Lievegem533.000 EUR
Location
Oude Staatsbaan 80
9930 Lievegem














