Be the first to get new properties in your mailbox?

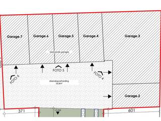
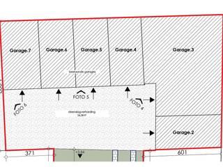
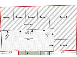
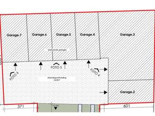
73 garages for sale in Bruges

(1 of 4 pages)
Didn't find what you were looking for?
Subscribe and receive the newest properties for your search
banner
This is a placeholder for the Optimonk banner, place below or above as needed