Description
Malheureusement, la description n'est pas disponible dans la langue sélectionnée.
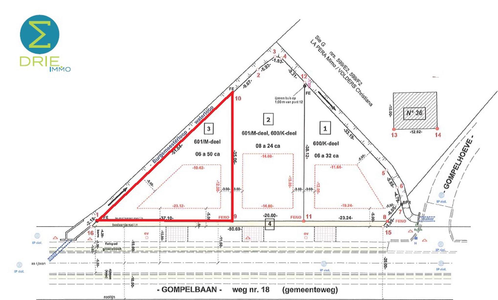
Perceel bouwgrond van 650m² gelegen aan de Gompelbaan in Mol. Dit perceel is voor de oprichting van een vrijstaande woning met tuin gericht op het zuiden. Het perceel heeft een schuine zijde waarlangs een waterloop loopt, wat zorgt voor een natuurlijk karakter. Centrale ligging nabij station en centrum.
Algemeen:
* Grondoppervlakte: 650m²
* Straatbreedte: 37,10m
* 201m² bebouwbare oppervlakte
* Zuid georiënteerd
* Geen bouwverplichting
Algemeen:
* Grondoppervlakte: 650m²
* Straatbreedte: 37,10m
* 201m² bebouwbare oppervlakte
* Zuid georiënteerd
* Geen bouwverplichting
Bâtiment
Type de propriété
Terrain
Sous-type
Terrain à bâtir
Terrain
Surface de la parcelle
650 m²
Profondeur de la parcelle
35,06 m
Urbanisme
Permis de lotissement
Oui
Zone à risque d'inondation
Zone innondable effective
150.000 EUR
Localité
2400 Mol
Est-ce faisable pour vous?
La contribution personnelle minimale
-EUR
Frais mensuels
-EUR/mois
Vous préférez une proposition personnalisée ?
Expliquez-nous votre projet et votre situation personnelle et KBC calculera un taux d'intérêt personnalisé. Vous recevrez immédiatement une réponse à propos de la faisabilité de votre prêt et pourrez finaliser votre demande entièrement en ligne. Même si vous n'êtes pas client chez KBC.















