Terrain à vendre à Mol
140 000 €
Est-ce faisable pour vous?Description
Malheureusement, la description n'est pas disponible dans la langue sélectionnée.
Deze ruime bouwgrond van 1.087 m² voor een halfopen bebouwing is rustig gelegen in Mol-Donk, op fietsafstand van zowel het centrum van Mol als Dessel. Bovendien geniet je hier van een vlotte verbinding naar de omliggende gemeenten.
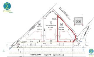
Het perceel heeft een straatbreedte van ongeveer 12 meter en een diepte van circa 91 meter. Het is geschikt voor een halfopen bebouwing met een zuidoostelijk georiënteerde tuin. De toekomstige woning mag maximaal 9 meter breed en 17 meter diep zijn.
Bouwvoorschriften:
- Bouwvolume: maximaal 9 m breed en 17 m diep
- Kroonlijsthoogte: maximaal 6,5 m
- Bijgebouwen: minimaal 10 m achter de achtergevelbouwlijn, toegelaten op de perceelgrens met plat dak
- Maximale oppervlakte bijgebouwen: 75 m²
Het perceel heeft een straatbreedte van ongeveer 12 meter en een diepte van circa 91 meter. Het is geschikt voor een halfopen bebouwing met een zuidoostelijk georiënteerde tuin. De toekomstige woning mag maximaal 9 meter breed en 17 meter diep zijn.
Bouwvoorschriften:
- Bouwvolume: maximaal 9 m breed en 17 m diep
- Kroonlijsthoogte: maximaal 6,5 m
- Bijgebouwen: minimaal 10 m achter de achtergevelbouwlijn, toegelaten op de perceelgrens met plat dak
- Maximale oppervlakte bijgebouwen: 75 m²
Finances
Disponibilité
À l’acte
Bâtiment
Type de propriété
Terrain
Largeur de la façade côté rue
9 m
Terrain
Surface de la parcelle
1.087 m²
Affectation urbanistique
Zone résidentielle
Jardin
Oui
Urbanisme
Intimation en justice
Pas de correction juridique ou mesure administrative imposée
Permis de construire
Non
Permis de lotissement
Non
Localité
Weststraat 11, 2400 Mol140.000 EUR
Localité
Weststraat 11
2400 Mol
Est-ce faisable pour vous?
La contribution personnelle minimale
-EUR
Frais mensuels
-EUR/mois
Vous préférez une proposition personnalisée ?
Expliquez-nous votre projet et votre situation personnelle et KBC calculera un taux d'intérêt personnalisé. Vous recevrez immédiatement une réponse à propos de la faisabilité de votre prêt et pourrez finaliser votre demande entièrement en ligne. Même si vous n'êtes pas client chez KBC.














