Terrain à vendre à Meerhout
170 000 €
Est-ce faisable pour vous?Description
Malheureusement, la description n'est pas disponible dans la langue sélectionnée.
Bouwgrond voor open bebouwing op een perceel van 7a01ca te Meerhout.
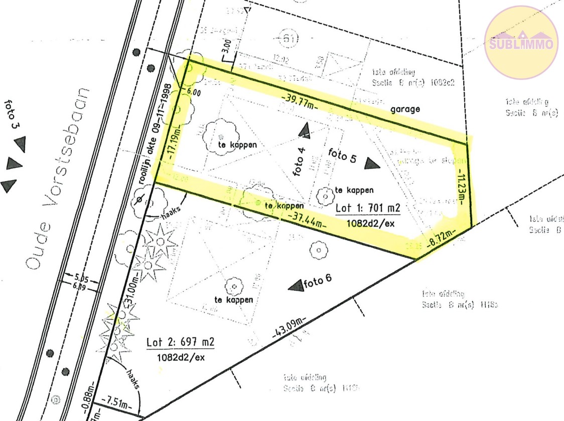
Op de Oude Vorstebaan , nabij het centrum van Meerhout, bevindt zich deze bouwgrond gelegen op een perceel van 7a 01ca. De ligging biedt een ideale balans tussen het landelijke gevoel en de nabijheid van het centrum. Op korte afstand van de Oude Vorstebaan in Meerhout vind je ook lokale handelaars, restaurants, tavernes en scholen terug. Deze bouwgrond is geschikt voor open bebouwing. Het perceel heeft een straatbreedte van 17,19m en de diepte van het perceel bedraagt 39,77m aan de linkse zijde en 37,44 m aan de rechtse zijde.
Bouwvoorschriften:
De plaatsing van de voorgevel dient samen te vallen met de voorgevelbouwlijn of bevindt zich binnen 6m diepte, gemeten vanaf die bouwlijn en ermee evenwijdig zijn. De voorgevelbreedte is maximum 11,14m. Voor de zijgevels dient er steeds minimum 3m van de perceelsgrenzen gebleven te worden. De achtergevel dient op maximum 17m achter de voorgevel en binnen de bouwstrook geplaatst te worden. Bouwvoorschriften en verkavelingsvergunning zijn beschikbaar. Voor verdere stedenbouwkundige inlichtingen kan je contact opnemen met ons kantoor.
Is deze bouwgrond iets voor jou? Contacteer ons via info@sublimmo.be voor meer info. Wij helpen jullie graag verder!
Op de Oude Vorstebaan , nabij het centrum van Meerhout, bevindt zich deze bouwgrond gelegen op een perceel van 7a 01ca. De ligging biedt een ideale balans tussen het landelijke gevoel en de nabijheid van het centrum. Op korte afstand van de Oude Vorstebaan in Meerhout vind je ook lokale handelaars, restaurants, tavernes en scholen terug. Deze bouwgrond is geschikt voor open bebouwing. Het perceel heeft een straatbreedte van 17,19m en de diepte van het perceel bedraagt 39,77m aan de linkse zijde en 37,44 m aan de rechtse zijde.
Bouwvoorschriften:
De plaatsing van de voorgevel dient samen te vallen met de voorgevelbouwlijn of bevindt zich binnen 6m diepte, gemeten vanaf die bouwlijn en ermee evenwijdig zijn. De voorgevelbreedte is maximum 11,14m. Voor de zijgevels dient er steeds minimum 3m van de perceelsgrenzen gebleven te worden. De achtergevel dient op maximum 17m achter de voorgevel en binnen de bouwstrook geplaatst te worden. Bouwvoorschriften en verkavelingsvergunning zijn beschikbaar. Voor verdere stedenbouwkundige inlichtingen kan je contact opnemen met ons kantoor.
Is deze bouwgrond iets voor jou? Contacteer ons via info@sublimmo.be voor meer info. Wij helpen jullie graag verder!
Bâtiment
Type de propriété
Terrain
Sous-type
Terrain à bâtir
Nouveau bâtiment
Non
Terrain
Surface de la parcelle
701 m²
Affectation urbanistique
Zone résidentielle
Aménagement
Nombre de chambres
0
Nombre de salles de bain
0
Nombre de toilettes
0
Confort
Ascenseur
Non
Énergie
Niveau E
0
Certificat d’inspection de l’électricité
Oui, non conforme
Urbanisme
Permis de lotissement
Oui
Droit de préemption
Non
Patrimoine protégé
Non
Localité
Oude Vorstsebaan, 2450 Meerhout170.000 EUR
Localité
Oude Vorstsebaan
2450 Meerhout
Est-ce faisable pour vous?
La contribution personnelle minimale
-EUR
Frais mensuels
-EUR/mois
Vous préférez une proposition personnalisée ?
Expliquez-nous votre projet et votre situation personnelle et KBC calculera un taux d'intérêt personnalisé. Vous recevrez immédiatement une réponse à propos de la faisabilité de votre prêt et pourrez finaliser votre demande entièrement en ligne. Même si vous n'êtes pas client chez KBC.















