Terrain à vendre à Tielen
194 000 €
Est-ce faisable pour vous?Description
Malheureusement, la description n'est pas disponible dans la langue sélectionnée.
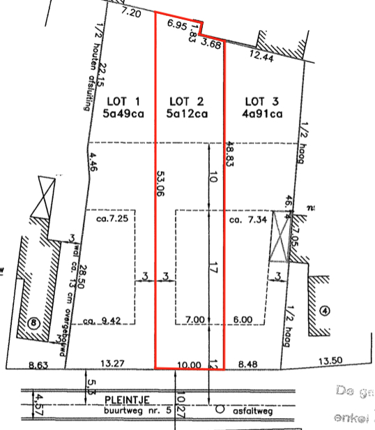
Bouwgrond van 512m² voor het bouwen van een half open bebouwing met bijgebouw, nabij het centrum van Tielen.
Perceelbreedte vooraan 10 meter en een diepte van circa 50 meter.
Bebouwbare voorgevelbreedte 7 meter, bouwdiepte gelijkvloers 17 meter, 1ste verdieping 13 meter en onder dak 9 meter. In de tuin kan een bijgebouw geplaatst worden binnen de zone voor bijgebouwen met een oppervlakte die maximaal 10% van de perceeloppervlakte bedraagt.
De bouwgrond is gelegen nabij het centrum van Tielen op wandelafstand van scholen, winkels en het treinstation.
De grond zal bouwrijp aangeleverd worden.
Indien u meer informatie wenst (opmetingsplan, verkavelingsvoorschriften, ...) of een plaatsbezoek wenst, tel. 014 71 50 08 of e-mail: christoffel@vastgoedpicavet.be .
Finances
Vente en viager
Non
Ventes sous régime de TVA
Non
Disponibilité
À l’acte
Bâtiment
Type de propriété
Terrain
Sous-type
Terrain à bâtir
Surface
250 m²
Terrain
Surface de la parcelle
512 m²
Affectation urbanistique
Zone résidentielle
Jardin
Oui
Lieu
Vue sur mer
Non
Vue latérale sur la mer
Non
Aménagement
Dressing
Non
Confort
Ascenseur
Non
Porte blindée
Non
Piscine
Non
Énergie
Chauffage central
Non
Certificat d’inspection citerne de mazout
Non
Urbanisme
Obligations de construction
Non
Permis de lotissement
Oui
Droit de préemption
Non
Localité
Pleintje 10, 2460 Tielen194.000 EUR
Localité
Pleintje 10
2460 Tielen
Est-ce faisable pour vous?
La contribution personnelle minimale
-EUR
Frais mensuels
-EUR/mois
Vous préférez une proposition personnalisée ?
Expliquez-nous votre projet et votre situation personnelle et KBC calculera un taux d'intérêt personnalisé. Vous recevrez immédiatement une réponse à propos de la faisabilité de votre prêt et pourrez finaliser votre demande entièrement en ligne. Même si vous n'êtes pas client chez KBC.











