Terrain à vendre à Gingelom
Description
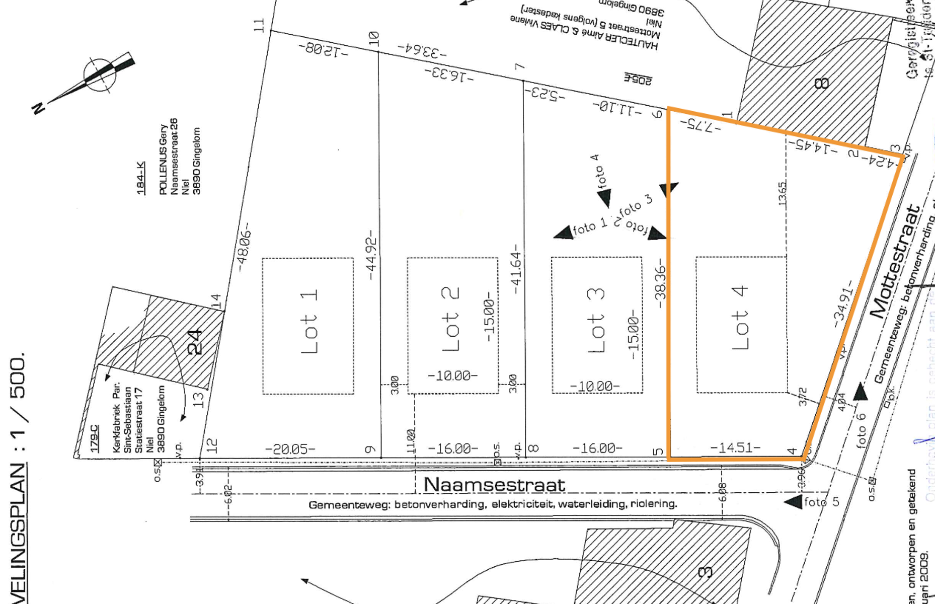
BOUWGROND VOOR EEN OPEN BEBOUWING VAN 7A36CA IN HET LANDELIJKE NIEL (GINGELOM)!
Deze bouwgrond, gekend als lot 4 van een goedgekeurde verkaveling is 7a36ca groot en bevindt zich in het hartje van Niel (Gingelom) op de hoek van de Zoutstraat en de Mottestraat.
Hier woon je in een landelijke én groene omgeving waar rust centraal staat. Bovendien bevind je je hier dichtbij alle nodige voorzieningen zoals een lagere school, bakker, beenhouwer en supermarkt.
Tegelijk geniet je van een vlotte bereikbaarheid naar de omliggende gemeentes Sint-Truiden, Landen en Hannuit.
Deze bouwgrond is geschikt voor het bouwen van een open bebouwing. De perceelbreedte langsheen de Zoutstraat bedraagt 14,51 meter en langsheen de Mottestraat gemiddeld 36 meter.
De open bebouwing die gebouwd mag worden, heeft een maximale bouwdiepte van 15 meter op het gelijkvloers en 12 meter op de verdieping. Een hoogte van minimum 1,5 en maximum 2 bouwlagen onder de kroonlijsthoogte is toegestaan.
Voor het uiterst behoud van de eigen tuin, is er een verplichte bouwvrije strook van 3 meter langsheen de perceelsgrenzen.
Bovendien moet je als toekomstige bouwheer rekening houden met het verkavelingsreglement van Infrax.
Een afzonderlijke bijgebouw van 1 bouwlaag hoog is toegestaan met een maximum van 40m2.
Bovendien is het hier ook mogelijk om het wonen te combineren met een nevenactivieit zoals vrije beroepen, diensten en kleinhandel. Horeca wordt hier niet toegestaan.
Kortom, dit perceel biedt je de unieke kans om jouw droomwoning te realiseren op een toplocatie in het hart van Haspengouw.
De volledige verkavelingsvoorschriften en het verkavelingsplan kan u raadplegen op onze website, onder “downloads” bij de betreffende advertentie.
Interesse of vragen? Contacteer ons op 011 96 51 76 of mail naar info@momentumvastgoed.be.
Finances
Bâtiment
Terrain
Urbanisme
Localité
Zoutstraat 7, 3890 GingelomEst-ce faisable pour vous?
Vous préférez une proposition personnalisée ?
Expliquez-nous votre projet et votre situation personnelle et KBC calculera un taux d'intérêt personnalisé. Vous recevrez immédiatement une réponse à propos de la faisabilité de votre prêt et pourrez finaliser votre demande entièrement en ligne. Même si vous n'êtes pas client chez KBC.















