Terrain à vendre à Anzegem
550 000 €
Est-ce faisable pour vous?Description
Terrain à bâtir à vendre dans un emplacement stratégique à Anzegem
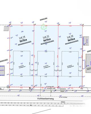
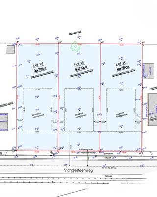
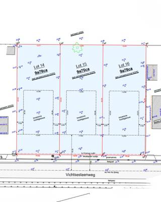
Dans la Grote Leiestraat à Anzegem, nous proposons à la vente ce terrain à projet parfaitement situé, composé d'un terrain d'environ 6 100 m² au total. La parcelle se compose de 2 lots privés et d'un lot indivis. Disposition : LOT A : env. 910 m² LOT B : env. 800 m²LOT C dans une surface indivise d'environ 4 390 m²Le terrain est stratégiquement situé près de la sortie de Waregem, ce qui garantit un accès facile et une connexion solide avec les principales routes d'accès de la région.Entre-temps, le LOT A a été vendu. Le lot encore en vente (LOT B) est idéal pour le développement d'un bâtiment polyvalent, d'une superficie maximale d'environ 800 m². Grâce à son caractère construit sur mesure, le bâtiment peut être entièrement adapté aux souhaits et aux besoins de l'utilisateur ou de l'investisseur.Êtes-vous intéressé par l'immobilier commercial ou un projet de terrain à vendre à Anzegem ? N'hésitez pas à nous contacter au 056 21 11 11.
Bâtiment
Type de propriété
Terrain
Sous-type
Site industriel
Année de construction
0
Terrain
Surface de la parcelle
800 m²
Affectation urbanistique
Zone résidentielle à caractère rural
Aménagement
Nombre de chambres
0
Nombre de salles de bain
0
Nombre de toilettes
0
Urbanisme
Permis de construire
Oui
Droit de préemption
Non
P(arcelle)-score
A (pas d’inondation modélisée)
Localité
Grote Leiestraat 80, 8570 AnzegemEst-ce faisable pour vous?
La contribution personnelle minimale
-EUR
Frais mensuels
-EUR/mois
Vous préférez une proposition personnalisée ?
Expliquez-nous votre projet et votre situation personnelle et KBC calculera un taux d'intérêt personnalisé. Vous recevrez immédiatement une réponse à propos de la faisabilité de votre prêt et pourrez finaliser votre demande entièrement en ligne. Même si vous n'êtes pas client chez KBC.













