Terrain à vendre à Kruisem
355 000 €
Est-ce faisable pour vous?Description
Malheureusement, la description n'est pas disponible dans la langue sélectionnée.
Op zoek naar een unieke plek om uw droomwoning te bouwen? Dit prachtig gelegen perceel van 1.951 m² bevindt zich in tweede bouwlijn, in een uiterst rustige en stille wijk, pal naast het natuurgebied Lozerbos. Hier woont u in het groen, met alle rust en privacy, en toch op een vlot bereikbare locatie.
Kenmerken:
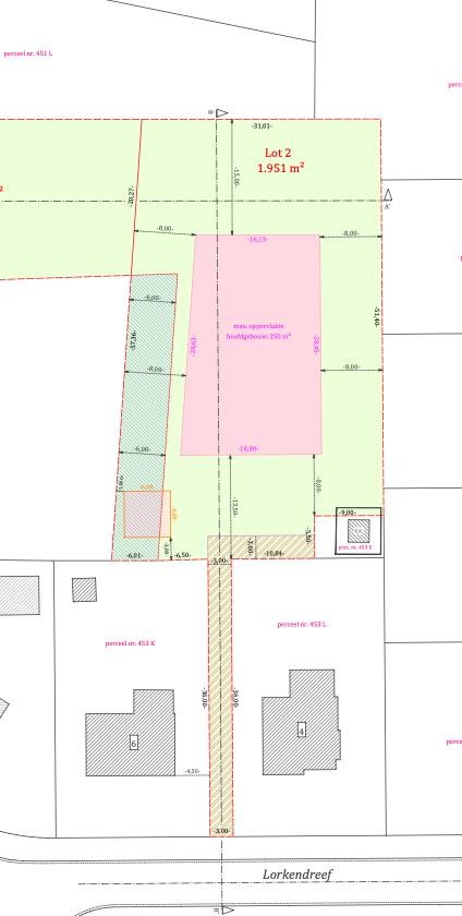
Perceel van 1.951 m²
Bestemming: ééngezinswoning (open bebouwing)
Bouwvoorschriften:
Er kan een gelijkvloerse woning op gebouwd worden (zonder verdieping).
Kroonlijsthoogte: 3 m
Plat dak
Maximale bebouwde oppervlakte: 250 m²
Inplanting volgens verkavelingsplan
Mogelijkheid tot plaatsen van een carport en woningbijgebouw
Geen bouwverplichting!
Een zonnig perceel in een uitzonderlijke, groene omgeving. Ideaal voor wie houdt van rust, natuur en een woning op maat.
Kenmerken:
Perceel van 1.951 m²
Bestemming: ééngezinswoning (open bebouwing)
Bouwvoorschriften:
Er kan een gelijkvloerse woning op gebouwd worden (zonder verdieping).
Kroonlijsthoogte: 3 m
Plat dak
Maximale bebouwde oppervlakte: 250 m²
Inplanting volgens verkavelingsplan
Mogelijkheid tot plaatsen van een carport en woningbijgebouw
Geen bouwverplichting!
Een zonnig perceel in een uitzonderlijke, groene omgeving. Ideaal voor wie houdt van rust, natuur en een woning op maat.
Finances
Informations cadastrales
Grond
Disponibilité
À l’acte
Bâtiment
Type de propriété
Terrain
Surface construite
250 m²
Nombre d’étages
1
Terrain
Surface de la parcelle
1.951 m²
Affectation urbanistique
Zone d’expansion résidentielle
Jardin
Oui
Lieu
Transports en commun à proximité
Oui
Autoroute à proximité
Oui
Ecole à proximité
Oui
Confort
Raccordement électrique
Oui
Raccordement au gaz
Oui
Raccordement aux égouts
Oui
Urbanisme
Intimation en justice
Pas de correction juridique ou mesure administrative imposée
Permis de construire
Non
Permis de lotissement
Oui
Localité
Lorkendreef 4, 9770 Kruisem355.000 EUR
Localité
Lorkendreef 4
9770 Kruisem
Est-ce faisable pour vous?
La contribution personnelle minimale
-EUR
Frais mensuels
-EUR/mois
Vous préférez une proposition personnalisée ?
Expliquez-nous votre projet et votre situation personnelle et KBC calculera un taux d'intérêt personnalisé. Vous recevrez immédiatement une réponse à propos de la faisabilité de votre prêt et pourrez finaliser votre demande entièrement en ligne. Même si vous n'êtes pas client chez KBC.








