Land for sale in Haacht
€208,000
Is this affordable for you?Description
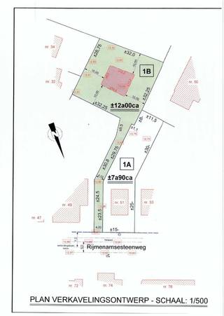
This building plot for open development is just a stone's throw from Haacht town centre, yet offers tranquillity thanks to its location in an inner area. The private driveway of about 53 m gives access to a plot where you can build the home of your dreams. You can build a house with a maximum floor area of about 130 m² and a cornice height of up to 3.50 m. There is also the possibility of building a carport of up to 21 m² and a garden shed of up to 12 m².
For more information on the regulations, download the details at www.altro-vastgoed.be. Have you always wanted your own home and want to start soon? Then contact your estate agent at nico@altro-vastgoed.be.
Financial
Sales under VAT system
No
Cadastral surface
1.200 m²
Building
Type of property
Plot
Subtype
Plot
Terrain
Plot size
1.200 m²
Most recent urban destination
Mixed residential area
Plot depth
28,75 m
Location
Public transport nearby
Yes
Distance to public transport
100 m
Urban planning
Destination building
Private - single-family
Summons
No
Building permit
No
Location
Rijmenamsesteenweg 49 A, 3150 HaachtIs this affordable for you?
Minimal personal contribution
-EUR
Monthly payments
-EUR/month
Prefer a tailor-made proposal?
Tell us more about your project and your personal situation and KBC will calculate your personal interest rate. You will receive immediate feedback on whether your loan is feasible and you can complete your application completely digitally. Even if you are not a KBC customer.








