Land for sale in Brakel
€179,000
Is this affordable for you?Description
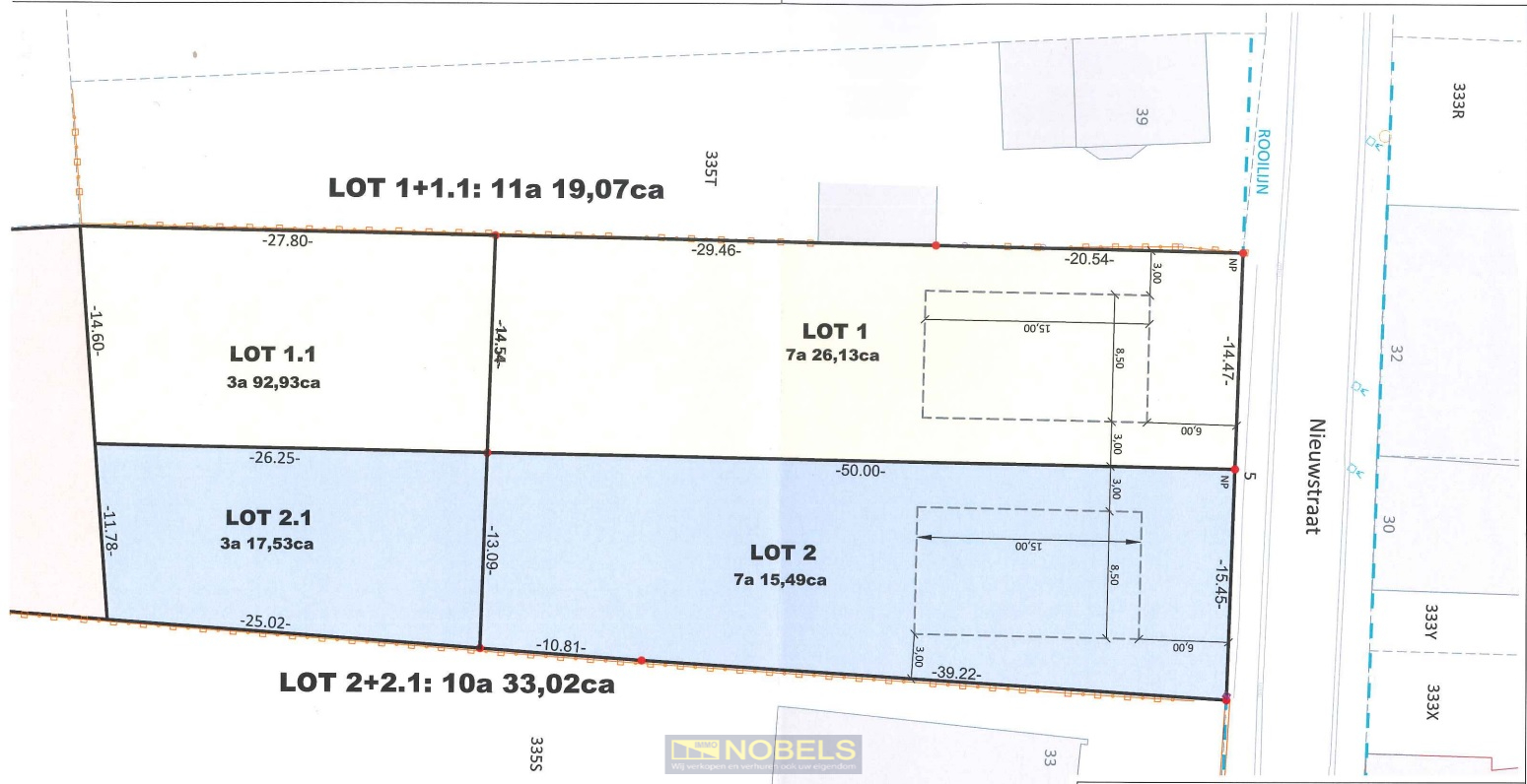
Te koop, bouwgrond voor open bebouwing met zuidelijke oriëntatie te Michelbeke (Brakel)
Prachtig perceel bouwgrond met ZUIDGERICHTE ORIËNTATIE op een MOOIE OPPERVLAKTE VAN 1.119M² in het charmante Michelbeke. Dit perceel voor OPEN BEBOUWING biedt een uitstekende opportuniteit voor wie wil bouwen in een GROENE, LANDELIJKE OMGEVING. Met een VOORGEVELBREEDTE VAN 8,5 METER en een BOUWDIEPTE VAN 15 METER op het gelijkvloers en 12 METER OP DE VERDIEPING, beschikt u over heel wat mogelijkheden voor het realiseren van een LICHTRIJKE EN FUNCTIONELE GEZINSWONING die perfect aansluit bij hedendaagse woonwensen. Extra troef is de mogelijkheid om een BIJGEBOUW TOT 40 M² op te richten. De ligging in Michelbeke combineert de RUST VAN HET PLATTELAND met een vlotte verbinding naar omliggende gemeenten en BELANGRIJKE VERBINDINGSWEGEN. Een aantrekkelijk gelegen bouwgrond voor wie droomt van wonen in alle RUST, midden in het GROEN.
Adres: Nieuwstraat 37 te Brakel
Geen bouwverplichting. P-score: A
Adres: Nieuwstraat 37 te Brakel
Geen bouwverplichting. P-score: A
Building
Type of property
Plot
Subtype
Plot
Constructed area
127,5 m²
Terrain
Plot size
1.119 m²
Most recent urban destination
Residential area with rural character
Orientation garden
South
Layout
Number of bedrooms
0
Number of bathrooms
0
Number of toilets
0
Comfort
Lift
No
Energy
E-level
0
Electricity inspection certificate
No
Urban planning
Subdivision permit
Yes
Pre-emption right
No
P-score (parcel score)
A (no flood modeled)
Location
Nieuwstraat 37, 9660 BrakelIs this affordable for you?
Minimal personal contribution
-EUR
Monthly payments
-EUR/month
Prefer a tailor-made proposal?
Tell us more about your project and your personal situation and KBC will calculate your personal interest rate. You will receive immediate feedback on whether your loan is feasible and you can complete your application completely digitally. Even if you are not a KBC customer.














