Terrain à vendre à Mol
149 000 €
Est-ce faisable pour vous?Description
Malheureusement, la description n'est pas disponible dans la langue sélectionnée.
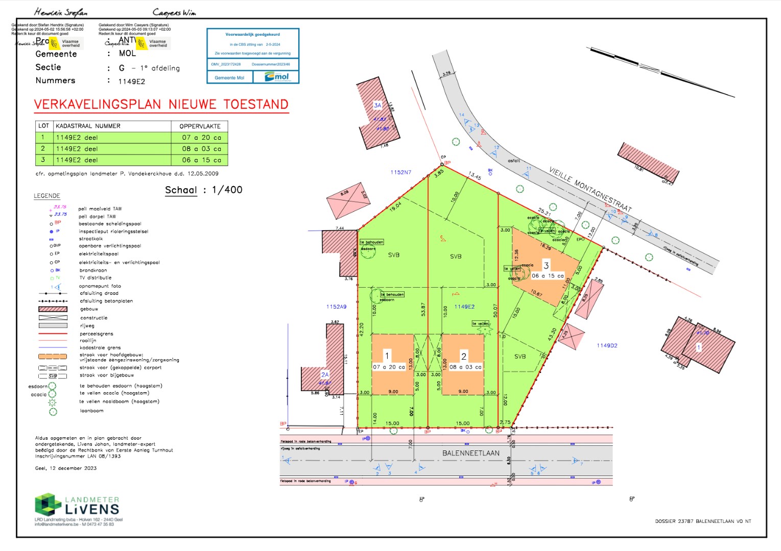
Deze ruime bouwgrond van 720 m² is ideaal gelegen in Wezel, met een vlotte verbinding naar omliggende gemeenten. De locatie combineert rust met bereikbaarheid, perfect voor wie op zoek is naar een aangename woonomgeving.
Het perceel beschikt over een straatbreedte van 15 meter en een diepte van 53,87 meter, en is bestemd voor open bebouwing. De toekomstige woning mag een maximale gevelbreedte van 9 meter hebben en een bouwdiepte van maximaal 12 meter.
Bouwvoorschriften:
- Gelijkvloers: maximaal 9 m breed en 12 m diep
- Vrije keuze van dakvorm
- Mogelijkheid tot het plaatsen van een tuinhuis van 12 m²
* De render is visueel om een idee te geven voor een potentiële koper.
Het perceel beschikt over een straatbreedte van 15 meter en een diepte van 53,87 meter, en is bestemd voor open bebouwing. De toekomstige woning mag een maximale gevelbreedte van 9 meter hebben en een bouwdiepte van maximaal 12 meter.
Bouwvoorschriften:
- Gelijkvloers: maximaal 9 m breed en 12 m diep
- Vrije keuze van dakvorm
- Mogelijkheid tot het plaatsen van een tuinhuis van 12 m²
* De render is visueel om een idee te geven voor een potentiële koper.
Finances
Disponibilité
À l’acte
Bâtiment
Type de propriété
Terrain
Largeur de la façade côté rue
9 m
Terrain
Surface de la parcelle
720 m²
Affectation urbanistique
Zone résidentielle
Orientation jardin
Ouest
Confort
Raccordement électrique
Oui
Raccordement aux égouts
Oui
Raccordement à l’eau
Oui
Urbanisme
Intimation en justice
Pas de correction juridique ou mesure administrative imposée
Permis de construire
Oui
Permis de lotissement
Oui
Médias et téléchargements
Vidéo
https://vimeo.com/1074570572?share=copy#t=0
Localité
Vieille Montagnestraat 3 1, 2400 Mol149.000 EUR
Localité
Vieille Montagnestraat 3 1
2400 Mol
Est-ce faisable pour vous?
La contribution personnelle minimale
-EUR
Frais mensuels
-EUR/mois
Vous préférez une proposition personnalisée ?
Expliquez-nous votre projet et votre situation personnelle et KBC calculera un taux d'intérêt personnalisé. Vous recevrez immédiatement une réponse à propos de la faisabilité de votre prêt et pourrez finaliser votre demande entièrement en ligne. Même si vous n'êtes pas client chez KBC.













