Grond te koop in Zandhoven
€ 187.500
Is dit haalbaar voor jou?Omschrijving
Voor HOB met breedte van 11m, vlakbij rustig dorpscentrum
Deze bouwgrond is gelegen binnen een goedgekeurde verkaveling en is bestemd voor een halfopen bebouwing. Gelegen in centrum Massenhoven, vlakbij de basisschool. Massenhoven is een deelgemeente van Zandhoven. Goede bereikbaarheid naar E313 en E34.
BIJZONDERHEDEN
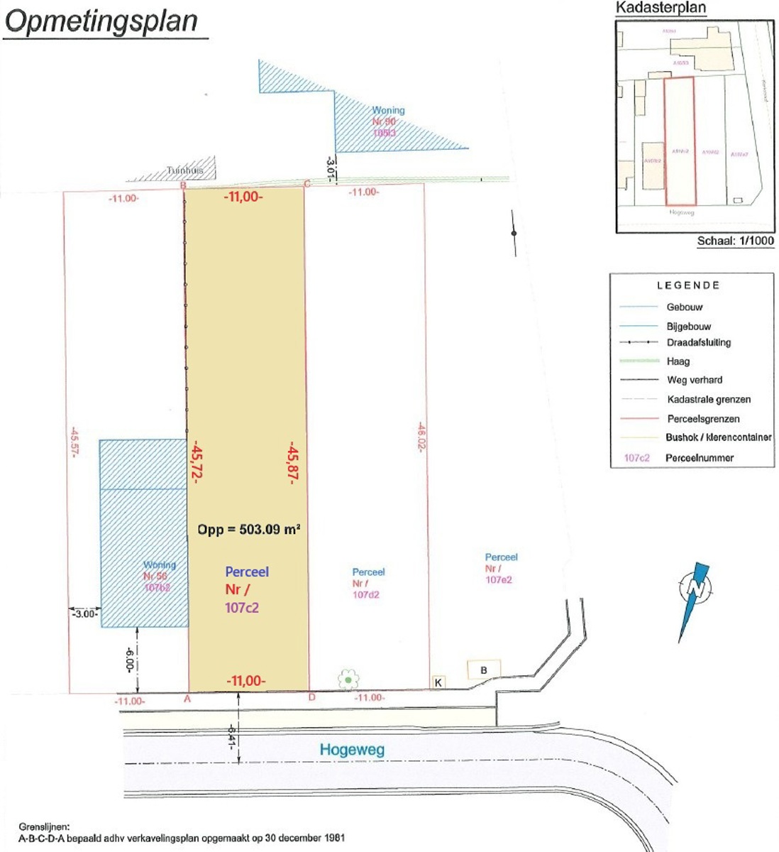
Oppervlakte: 503m,
Breedte perceel: 11m,
Max breedte voorgevel: 8m,
Bouwdiepte gelijkvloers: 17m / eerste verdieping: 13m / tweede verdieping: 9m,
Hellend dak vooraan (max helling 60°), verder platte daken,
Kroonlijsthoogte: max 7m,
Bijgebouw is mogelijk tot max 50m²,
Aan te sluiten aan de riolering (deze grond is gelegen in het centrale gebied).
POSITIEVE ASPECTEN
Mooie te realiseren voorgevelbreedte van 8m,
Mooie te realiseren bebouwde oppervlakte van 136m²,
Geen bouwverplichting,
Zuid georiënteerde tuin.
BIJZONDERHEDEN
Oppervlakte: 503m,
Breedte perceel: 11m,
Max breedte voorgevel: 8m,
Bouwdiepte gelijkvloers: 17m / eerste verdieping: 13m / tweede verdieping: 9m,
Hellend dak vooraan (max helling 60°), verder platte daken,
Kroonlijsthoogte: max 7m,
Bijgebouw is mogelijk tot max 50m²,
Aan te sluiten aan de riolering (deze grond is gelegen in het centrale gebied).
POSITIEVE ASPECTEN
Mooie te realiseren voorgevelbreedte van 8m,
Mooie te realiseren bebouwde oppervlakte van 136m²,
Geen bouwverplichting,
Zuid georiënteerde tuin.
Financieel
Verkoop onder btw-stelsel
Nee
Kadasteroppervlakte
504 m²
Gebouw
Type pand
Grond
Subtype
Bouwgrond
Terrein
Perceeloppervlakte
503 m²
Meest recente bestemming terrein
Woongebied
Diepte perceel
45,8 m
Ligging
Omgeving / buurt
Centraal; Residentiële wijk
Openbaar vervoer nabij
Ja
Afstand tot openbaar vervoer
700 m
Ruimtelijke ordening
Bestemming gebouw
Privé - eengezins
Dagvaarding
Geen rechterlijke herstelmaatregel of bestuurlijke maatregel opgelegd
Vonnissen
Nee
Locatie
Hogeweg 58, 2240 Zandhoven187.500 EUR
Locatie
Hogeweg 58
2240 Zandhoven
















