Grond te koop in Glabbeek
€ 235.000
Is dit haalbaar voor jou?Omschrijving
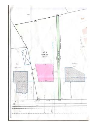
Bouwgrond van 10a 31ca voor open bebouwing
In de landelijke Veldstraat te Glabbeek bevindt zich deze prachtig gelegen bouwgrond van 10a 31ca, bestemd voor een vrijstaande ééngezinswoning. De rustige, groene omgeving biedt rust en privacy, terwijl voorzieningen vlot bereikbaar zijn. De centrale ligging zorgt bovendien voor een goede verbinding richting Tienen, Diest en Leuven.
De bouwvoorschriften laten toe om een woning op te trekken met maximaal twee volwaardige bouwlagen. De bouwlijn ligt op 12 meter, met een bouwdiepte van 15 meter op het gelijkvloers en 12 meter op de verdieping. Hierdoor is er voldoende ruimte voor een comfortabele en moderne gezinswoning met een aangename tuin.
Dankzij de landelijke ligging, het ruime perceel en de bouwmogelijkheden vormt dit perceel de ideale plek voor wie droomt van wonen in een groene, kindvriendelijke omgeving met een vlotte bereikbaarheid.
Interesse of vragen? Neem contact op met Thomas via thomas@sophimo.be of +32 499 22 99 24 voor meer informatie of de volledige stedenbouwkundige voorschriften.
De bouwvoorschriften laten toe om een woning op te trekken met maximaal twee volwaardige bouwlagen. De bouwlijn ligt op 12 meter, met een bouwdiepte van 15 meter op het gelijkvloers en 12 meter op de verdieping. Hierdoor is er voldoende ruimte voor een comfortabele en moderne gezinswoning met een aangename tuin.
Dankzij de landelijke ligging, het ruime perceel en de bouwmogelijkheden vormt dit perceel de ideale plek voor wie droomt van wonen in een groene, kindvriendelijke omgeving met een vlotte bereikbaarheid.
Interesse of vragen? Neem contact op met Thomas via thomas@sophimo.be of +32 499 22 99 24 voor meer informatie of de volledige stedenbouwkundige voorschriften.
Financieel
Kadasteroppervlakte
1.031 m²
Gebouw
Type pand
Grond
Subtype
Bouwgrond
Terrein
Perceeloppervlakte
1.031 m²
Breedte perceel
18,6 m
Diepte perceel
58,68 m
Ligging
Omgeving / buurt
Rustig; Landelijk
Comfort
Aansluiting gas
Ja
Aansluiting riolering
Ja
Aansluiting water
Ja
Ruimtelijke ordening
P(erceel)-score
A (geen overstroming gemodelleerd)
Overstromingsgevoelig gebied
Niet gelegen in een overstromingsgevoelig gebied
Locatie
Veldstraat 1 A, 3380 Glabbeek235.000 EUR
Locatie
Veldstraat 1 A
3380 Glabbeek














