Grond te koop in Meeswijk
€ 229.000
Is dit haalbaar voor jou?Omschrijving
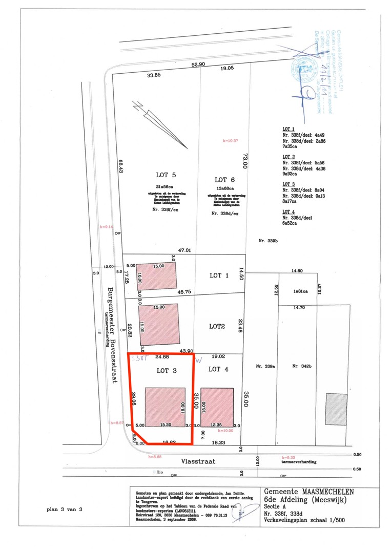
Bouwgrond van 8 are 17 ca voor open bebouwing in Meeswijk
Deze prachtig gelegen bouwgrond van 8 are 17 ca voor open bebouwing bevindt zich op de hoek van de Vlasstraat en de Burgemeester Bovensstraat in Meeswijk. U geniet hier van een rustige en aangename woonomgeving, met winkels, scholen en eetgelegenheden op korte afstand.
De gunstige ligging zorgt voor een vlotte verbinding naar omliggende gemeenten en belangrijke invalswegen. Daarnaast bevindt het perceel zich op korte afstand van het veerpunt over de Maas, waardoor u vlot de verbinding maakt met Nederland.
Beschrijving perceel:
- Geschikt voor open bebouwing
- LOT 3 op het verkavelingsplan
- Oppervlakte: 817 m²
- Bestemming: woongebied met landelijk karakter
Voor meer informatie en de bouwvoorschriften neem contact op via gilles@haerdimmo.be of 0492/86 61 15.
Wenst u een gratis schatting van uw eigendom? Contacteer mij vrijblijvend voor een afspraak!
De gunstige ligging zorgt voor een vlotte verbinding naar omliggende gemeenten en belangrijke invalswegen. Daarnaast bevindt het perceel zich op korte afstand van het veerpunt over de Maas, waardoor u vlot de verbinding maakt met Nederland.
Beschrijving perceel:
- Geschikt voor open bebouwing
- LOT 3 op het verkavelingsplan
- Oppervlakte: 817 m²
- Bestemming: woongebied met landelijk karakter
Voor meer informatie en de bouwvoorschriften neem contact op via gilles@haerdimmo.be of 0492/86 61 15.
Wenst u een gratis schatting van uw eigendom? Contacteer mij vrijblijvend voor een afspraak!
Gebouw
Type pand
Grond
Subtype
Bouwgrond
Nieuw gebouw
Nee
Terrein
Perceeloppervlakte
817 m²
Meest recente bestemming terrein
Woongebied met landelijk karakter
Indeling
Aantal slaapkamers
0
Aantal badkamers
0
Aantal toiletten
0
Comfort
Lift
Nee
Energie
E-peil
0
Ruimtelijke ordening
Verkavelingsvergunning
Ja
Voorkooprecht
Nee
P(erceel)-score
A (geen overstroming gemodelleerd)
Locatie
Vlasstraat 11, 3630 MeeswijkIs dit haalbaar voor jou?
Minimale eigen inbreng
-EUR
Maandlast
-EUR/maand
Liever een voorstel op maat?
Vertel meer over je project en je persoonlijke situatie en KBC berekent je persoonlijke rentevoet. Je ontvangt onmiddellijk feedback of je lening haalbaar is en je kunt je aanvraag volledig digitaal afronden. Zelfs als je geen KBC-klant bent.










