Grond te koop in Tongeren
€ 119.000
Is dit haalbaar voor jou?Omschrijving
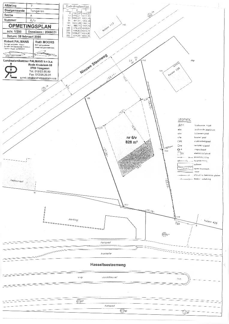
Perceel bouwgrond bestemd voor open bebouwing op 7a 96ca - 21,95 m breedte aan de straatzijde - zuid-gerichte tuin
Dit perceel bestemd voor open bebouwing is gelegen langs de Nieuwe Steenweg ter hoogte van nummer 130, op enkele minuutjes rijden van het centrum van Tongeren.
Het perceel heeft volgende gunstige kenmerken:
- mooie oppervlakte van 7a 96ca
- breedte aan de straatzijde van 21,95m
- maximale breedte voorgevel: 14.57m
- maximale bouwdiepte gelijkvloers: 17m
- maximale bouwdiepte eerste verdieping: 12 m
De achtergevel van de te bouwen woning en de ruime tuin zijn gericht naar het zuiden, zodat hier een mooie woning met veel lichtinval kan gebouwd worden.
Niet overstromingsgevoelig gelegen.
Het perceel heeft volgende gunstige kenmerken:
- mooie oppervlakte van 7a 96ca
- breedte aan de straatzijde van 21,95m
- maximale breedte voorgevel: 14.57m
- maximale bouwdiepte gelijkvloers: 17m
- maximale bouwdiepte eerste verdieping: 12 m
De achtergevel van de te bouwen woning en de ruime tuin zijn gericht naar het zuiden, zodat hier een mooie woning met veel lichtinval kan gebouwd worden.
Niet overstromingsgevoelig gelegen.
Financieel
Kadastraal inkomen
7 €
Kadastrale info
grond
Beschikbaarheid
Vanaf akte
Gebouw
Type pand
Grond
Type bebouwing
Open
Gevelbreedte straatkant
14,57 m
Terrein
Perceeloppervlakte
788 m²
Meest recente bestemming terrein
Woongebied met landelijk karakter
Tuin
Ja
Ligging
Openbaar vervoer nabij
Ja
Autosnelweg nabij
Ja
School nabij
Ja
Ruimtelijke ordening
Dagvaarding
Geen rechterlijke herstelmaatregel of bestuurlijke maatregel opgelegd
Bouwvergunning
Nee
Verkavelingsvergunning
Nee
Locatie
Nieuwe Steenweg 130, 3700 Tongeren119.000 EUR
Locatie
Nieuwe Steenweg 130
3700 Tongeren














