Omschrijving
2 autostaanplaatsen te Koop.
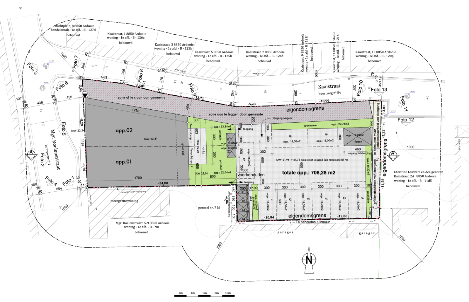
2 autostaanplaatsen te koop op de markt van Ardooie. Deze autostaanplaatsen zullen gelegen zijn achter Residentie Square die nu in opbouw is.
Voor meer informatie: 0479 63 25 82 of info@verjon.be
Prijs: € 15.000,00 excl. Aankoopkosten per autostaanplaats.
Voor meer informatie: 0479 63 25 82 of info@verjon.be
Prijs: € 15.000,00 excl. Aankoopkosten per autostaanplaats.
Gebouw
Type pand
Garage / Parkeerplaats
Nieuw gebouw
Nee
Staat pand
Nieuwbouw
Indeling
Aantal slaapkamers
0
Aantal badkamers
0
Aantal toiletten
0
Comfort
Lift
Nee
Energie
E-peil
0
Keuringsattest elektriciteit
Ja, niet conform




