Vind je makelaar
Plaats je zoekertje
Gratis schatting
Immoscoop only
Check je woningbudget
Inloggen
NL
Nederlands
English
Français
Garage te koop in Asse (1730)
Wijzig zoekcriteria
Garage te koop in Asse (1730)
Als eerste nieuwe panden in je mailbox krijgen?
Hou me op de hoogte
4 garages te koop in Asse
(1 van 1 pagina's)
Immoscoop only
Goedkoopste
Duurste
Oudste
Nieuwste
immoscoop only
immoscoop only:
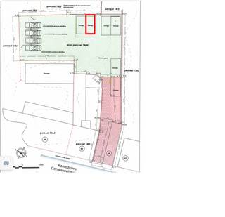
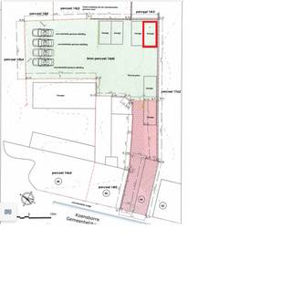
Garage te koop
€ 28.000
Ten Broeke
1730 Asse
13
Project te koop in Asse
Vanaf € 27.000
Prieelstraat 1
1730 Asse
Bekijk het project
Garage te koop
€ 16.500
Stationsstraat 83
1730 Asse
12
Garage te koop
€ 15.000
Boekfos 45
1730 Asse
De woning die je net bekeek...
past die binnen je budget?
Simuleer je lening
Niet gevonden wat je zocht?
Schrijf je in en ontvang de laatste nieuwe panden voor jouw zoekopdracht
Schrijf je in
This is a placeholder for the Optimonk banner, place below or above as needed
Immo te koop per type
Huis te koop in Asse
Appartement te koop in Asse
Commercieel te koop in Asse
Grond te koop in Asse