Grond te koop in Halle
€ 89.000
Is dit haalbaar voor jou?Omschrijving
Bouwgrond met tal van mogelijkheden in een rustige buurt
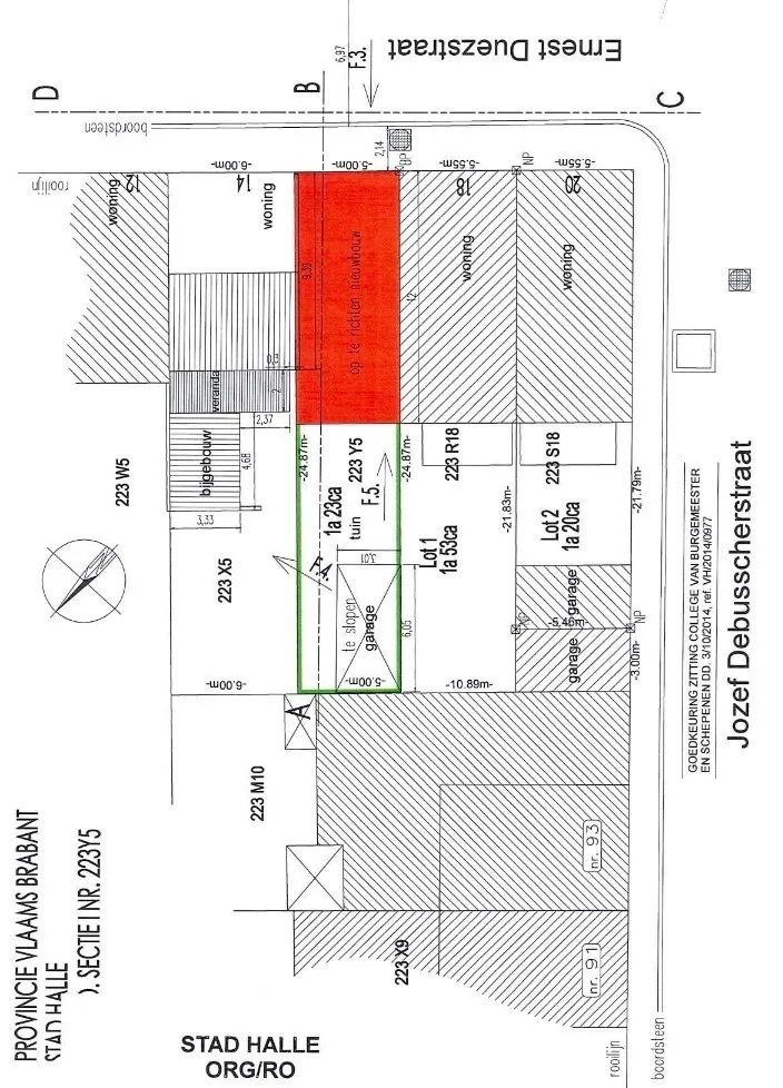
Ontdek deze unieke bouwgrond van 25 meter diep, gelegen in een rustige en aangename omgeving. Met een breedte van 5 meter en een maximale bouwdiepte van 12 meter biedt dit perceel volop mogelijkheden om jouw droomwoning te realiseren.
Dankzij de gunstige afmetingen is deze bouwgrond perfect geschikt voor een knusse stadswoning of een modern ontwerp met alle nodige comfort. Bovendien is er geen bouwverplichting, wat jou de vrijheid geeft om te bouwen op je eigen tempo en naar jouw wensen.
De centrale ligging combineert rust met nabijheid van winkels, scholen en openbaar vervoer, wat deze bouwgrond een uitstekende keuze maakt voor wie zowel rust als toegankelijkheid belangrijk vindt.
Laat je inspireren door de mogelijkheden van dit perceel en maak jouw woonwensen werkelijkheid. Neem vandaag nog contact met ons op voor meer informatie of een bezoek!
Financieel
Kadasteroppervlakte
111 m²
Gebouw
Type pand
Grond
Subtype
Bouwgrond
Terrein
Perceeloppervlakte
124,35 m²
Meest recente bestemming terrein
Woongebied
Diepte perceel
24,87 m
Ligging
Omgeving / buurt
Centraal; Residentiële wijk
Openbaar vervoer nabij
Ja
Afstand tot openbaar vervoer
180 m
Comfort
Aansluiting gas
Ja
Aansluiting riolering
Ja
Aansluiting water
Ja
Ruimtelijke ordening
Bestemming gebouw
Privé - woning
Vonnissen
Nee
Bouwvergunning
Ja
Locatie
Ernest Duezstraat 16, 1500 Halle89.000 EUR
Locatie
Ernest Duezstraat 16
1500 Halle















