Grond te koop in Sint-Pieters-Leeuw
€ 345.000
Is dit haalbaar voor jou?Omschrijving
Bouwgrond van 15 are 18 centiare
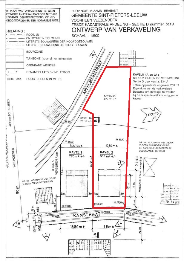
Rustig gelegen bouwgrond (15 are 18ca) voor open bebouwing met ideale zuidwestelijke oriëntatie – lot 2 van de verkaveling.
De grondbreedte is 18m en er kan een villa gebouwd worden met een gevelbreedte van maar liefst 12m met een mogelijke bewoonbare oppervlakte van 324m²!
Volledige luchtbeelden via Drone: https://youtu.be/wfDEHyov8fc
Verkavelingsvoorschriften (zie ook ‘bijlagen’ voor de volledige verkavelingsvoorschriften)
- Residentiële ééngezinswoning – woonfunctie is de hoofdfunctie.
- 2 bouwlagen toegelaten.
- Straatbreedte : 18m – gevelbreedte: 12m.
- Bouwdiepte op het gelijkvloers 15m – op verdieping 12m.
De grond is werkelijk schitterend gelegen in Vlezenbeek langs de Kamstraat met een heel goede bereikbaarheid en in de nabijheid van handelszaken, openbaar vervoer en scholen.
De grondbreedte is 18m en er kan een villa gebouwd worden met een gevelbreedte van maar liefst 12m met een mogelijke bewoonbare oppervlakte van 324m²!
Volledige luchtbeelden via Drone: https://youtu.be/wfDEHyov8fc
Verkavelingsvoorschriften (zie ook ‘bijlagen’ voor de volledige verkavelingsvoorschriften)
- Residentiële ééngezinswoning – woonfunctie is de hoofdfunctie.
- 2 bouwlagen toegelaten.
- Straatbreedte : 18m – gevelbreedte: 12m.
- Bouwdiepte op het gelijkvloers 15m – op verdieping 12m.
De grond is werkelijk schitterend gelegen in Vlezenbeek langs de Kamstraat met een heel goede bereikbaarheid en in de nabijheid van handelszaken, openbaar vervoer en scholen.
Financieel
Kadastraal inkomen
15 €
Kadastrale info
Sectie D 334 D
Gebouw
Subtype
Bouwgrond
Type bebouwing
Open
Terrein
Perceeloppervlakte
1.518 m²
Meest recente bestemming terrein
Woongebied met landelijk karakter
Breedte straatkant
12 m
Ligging
Omgeving / buurt
Stadskern; Residentiële wijk; Nabij station; Nabij station
Ruimtelijke ordening
Stedenbouwkundige info
Ja
Verkavelingsvergunning
Ja
P(erceel)-score
D (middelgrote overstromingskans onder huidig klimaat)
Locatie
Kamstraat, 1602 Sint-Pieters-Leeuw345.000 EUR
Locatie
Kamstraat
1602 Sint-Pieters-Leeuw








