Omschrijving
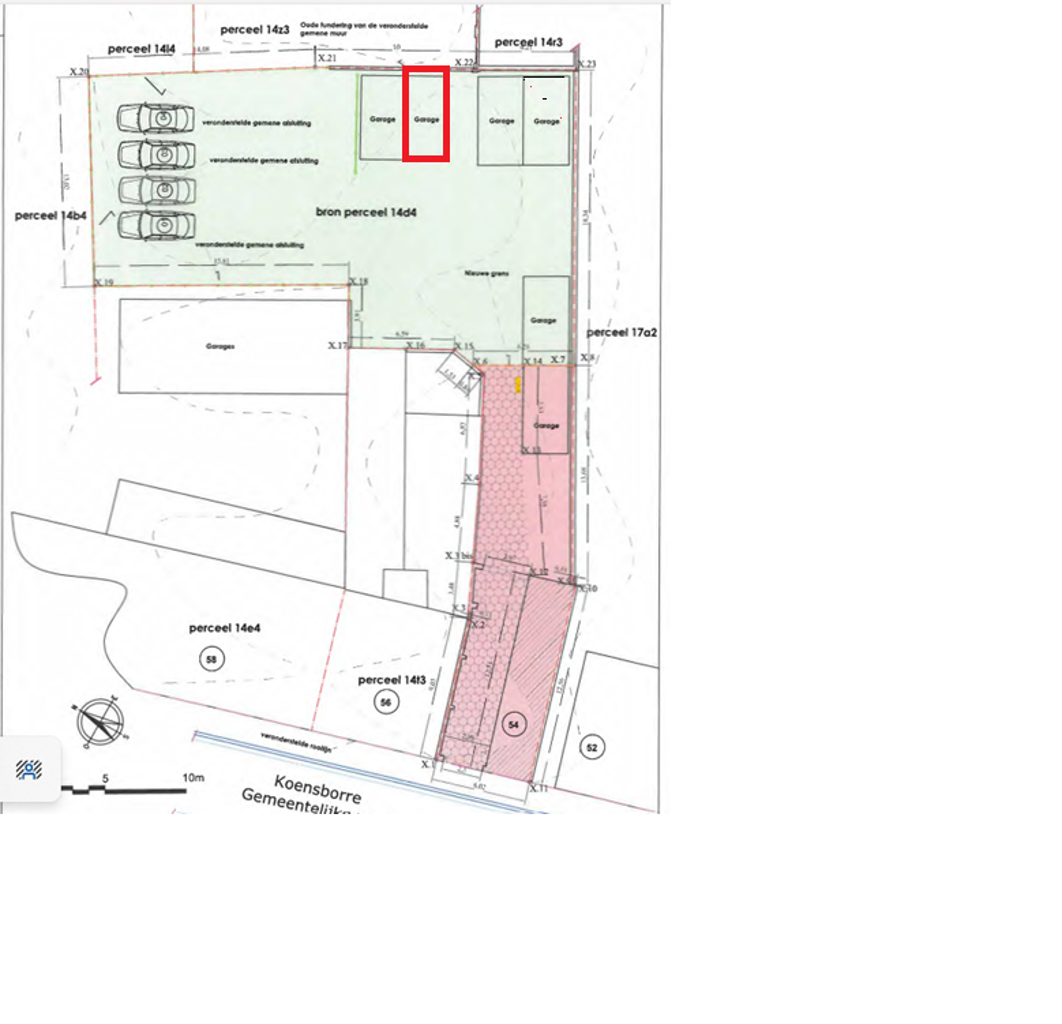
immo DAVID stelt voor: gesloten garagebox
Hebt u er ook genoeg van om een parkeerplaats te zoeken of een bewonerskaart te betalen? Investeer in uw eigen gesloten garagebox: een duurzame belegging voor uw eigen comfort of als (eerste) vastgoedinvestering.
Bereikbaar via een doorgang (Koensborre n° 54) met gemeenschappelijke ingang via elektrische poort, waardoor Uw voertuig altijd veilig staat.
Zeer centraal gelegen in het centrum van Asse.
Aarzel niet om ons te contacteren.
Bereikbaar via een doorgang (Koensborre n° 54) met gemeenschappelijke ingang via elektrische poort, waardoor Uw voertuig altijd veilig staat.
Zeer centraal gelegen in het centrum van Asse.
Aarzel niet om ons te contacteren.
Gebouw
Type pand
Garage / Parkeerplaats
Subtype
Garagebox
Bouwjaar
1980
Ligging
Omgeving / buurt
Centraal
Openbaar vervoer nabij
Ja
Autosnelweg nabij
Ja
Ruimtelijke ordening
G(ebouw)-score
C (kleine overstromingskans onder huidig klimaat)
P(erceel)-score
C (kleine overstromingskans onder huidig klimaat)











