Omschrijving
grond
Deze bouwgrond is geschikt voor een ruime gezinswoning, een half open bebouwing met 3 bouw lagen, gelijkvloers, 1ste en 2de verdieping en/of garage.
Vanwege de centrale ligging is deze bouwgrond ook geschikt voor een gezinswoning met kantoor of praktijkruimte.
Het perceel grenst achteraan aan een groene zone, dit geeft u een mooi zicht vanuit de tuin.
De foto's in bijlage zijn voorbeeld foto's van wat er zou kunnen gebouwd worden als gezinswoning op deze bouwgrond, er is geen bouw verplichting.
Het perceel grond is gelegen nabij het centrum van Borsbeek, openbaar vervoer, scholen, winkels, e.a.
Voor meer info kunt u ons vrijblijvend contacteren op het GSM nummer 0484 200 700 of mail naar christine@janssenenjanssen.be
Financieel
Kadastrale info
0116/00X000
Gebouw
Type pand
Grond
Subtype
Grond
Type bebouwing
Halfopen
Terrein
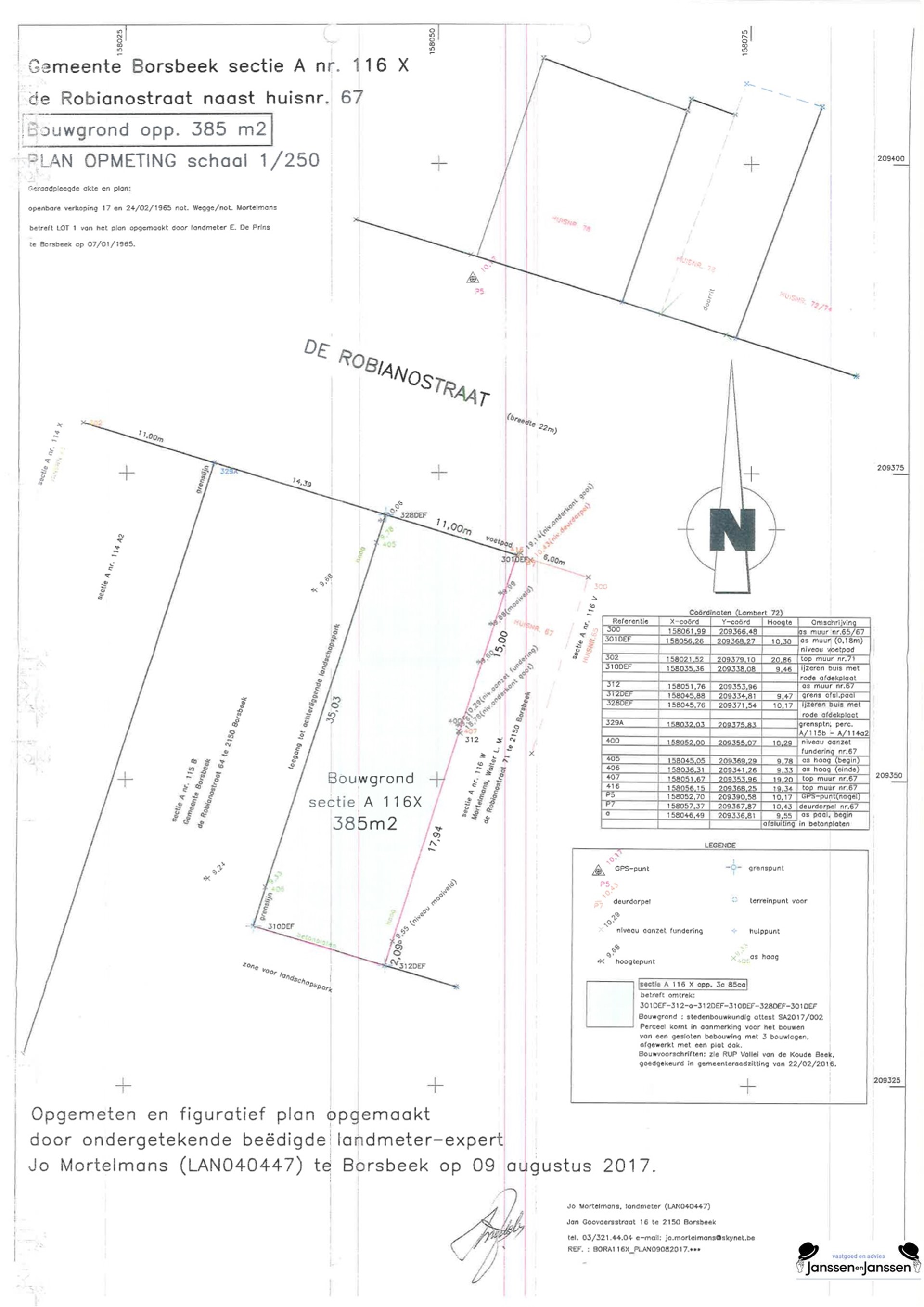
Perceeloppervlakte
385 m²
Breedte perceel
11 m
Diepte perceel
35 m
Energie
Type beglazing
Enkel glas
Keuringsattest elektriciteit
Nee
Ruimtelijke ordening
Kadastraal plan
Ja
295.000 EUR
Locatie
2150 Borsbeek






