Huis te koop in Ekeren met 4 slaapkamers
€ 1.037.500
Is dit haalbaar voor jou?Omschrijving
Nieuwbouw charmevilla in groene 'SINT LUCAS' wijk in Ekeren DONK
Nieuwbouw charmevilla in groene 'SINT LUCAS 'wijk in Ekeren DONK op 700 m²
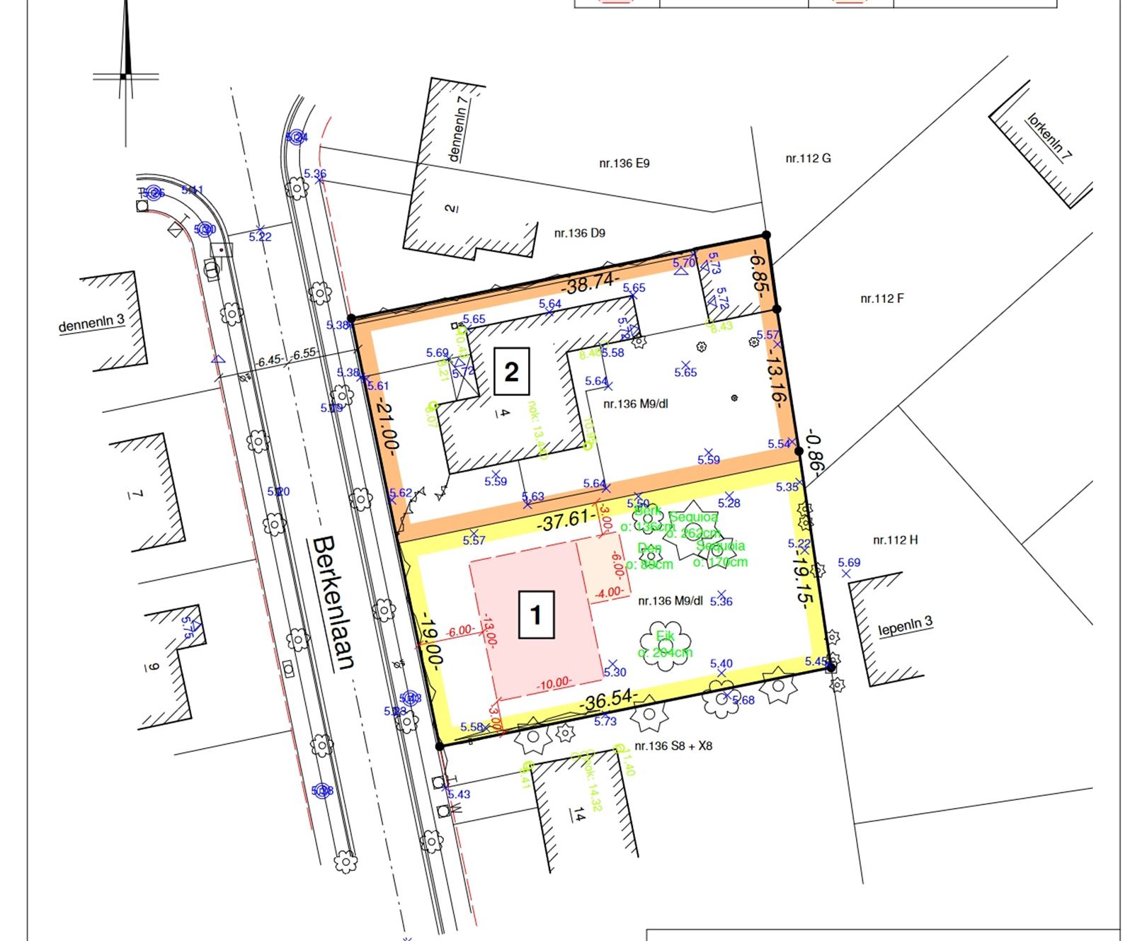
Op een breed perceel (19 x 37 m) in een rustige, groene wijk bij Sint Michiels college verrijst deze stijlvolle nieuwbouwvilla. Je woont hier op wandelafstand van scholen, winkels, park en openbaar vervoer, met een vlotte verbinding naar de E19, Ring en Havenweg.
Indeling (voorbeeld):
- Gelijkvloers (ca. 120 m²): inkomhal met vestiaire en gastentoilet, ingerichte leefkeuken (33 m²) met kookeiland en toegang tot een overdekt terras met berging, bijkeuken en salon van 25 m².
- 1ste verdieping (ca. 113 m²): masterbedroom (24 m²) met badkamer ensuite en dressingruimte, 2 ruime kinderkamers (12,6 m²), 2de badkamer en bureau/slaapkamer.
- Dakverdieping (ca. 57 m²): bereikbaar via vaste trap, nog vrij in te richten met o.a. extra slaapkamer, badkamer of hobbyruimte.
Extra troeven:
- Bijna-Energie-Neutraal (BEN 20)
- Vloerverwarming
- Ruim terras en zonnige tuin
Een moderne charmevilla met veel ruimte en flexibiliteit, gelegen in een groene, residentiële wijk vlak bij alle voorzieningen.
Interesse? Contacteer ons op 03 646 66 55 of info@sinjoor.be
Financieel
Kadastrale info
0136/00Y009
Gebouw
Type pand
Huis
Subtype
Huis
Bewoonbare oppervlakte
290 m²
Terrein
Perceeloppervlakte
706 m²
Meest recente bestemming terrein
Woongebied
Tuin
Ja
Ligging
Afstand tot openbaar vervoer
609 m
Afstand tot school
159 m
Afstand tot winkels
960 m
Indeling
Aantal slaapkamers
4
Aantal badkamers
2
Oppervlakte woonkamer
58 m²
Comfort
Aansluiting water
Ja
Telefoon
Ja
Energie
E-peil
20
Type beglazing
Dubbel glas
Raamprofielen
PVC
Ruimtelijke ordening
Kadastraal plan
Ja
Dagvaarding
Geen rechterlijke herstelmaatregel of bestuurlijke maatregel opgelegd
Bouwvergunning
Nee
Locatie
Berkenlaan 6, 2180 Ekeren1.037.500 EUR
Locatie
Berkenlaan 6
2180 Ekeren
















