Grond te koop in Olen
€ 239.000
Is dit haalbaar voor jou?Omschrijving
Te koop:
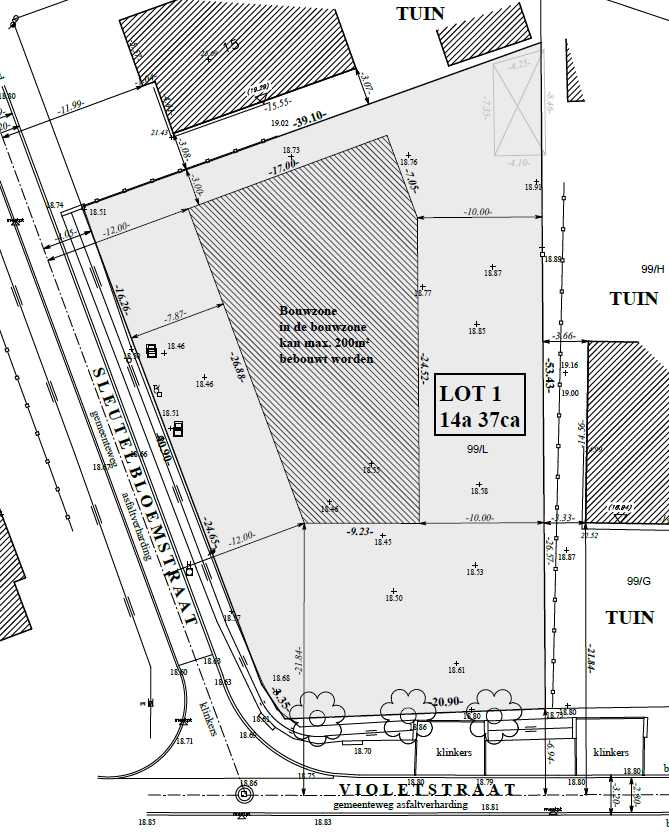
Uniek perceel van 14a37ca voor een open bebouwing in O-L-V-Olen met vele mogelijkheden.
Ligging:
Dit unieke stuk grond is rustig en centraal gelegen in een residentiële wijk, aan de hoek van de Violetstraat en Sleutelbloemstraat. Op slechts een steenworp afstand van het centrum van Onze-Lieve-Vrouw-Olen geniet u van een vlotte verbinding naar de E313 en de omringende steden.
Beschrijving:
De nieuw op te richten woning dient gericht te worden naar de sleutelbloemstraat met een maximale bouwbreedte tot 26,88 meter (!) en met een royale maximale bebouwbare oppervlakte tot 200m².
De rustige ligging en de aanpalende laagbouwwoningen garanderen een hoge mate van privacy en rust.
Vergunning:
Stedenbouwkundig attest werd bekomen op 23/10/2025 en blijft 2 jaar geldig.
Interesse?
Voor meer informatie mag u steeds contact opnemen. Geen immomakelaars AUB.
Uniek perceel van 14a37ca voor een open bebouwing in O-L-V-Olen met vele mogelijkheden.
Ligging:
Dit unieke stuk grond is rustig en centraal gelegen in een residentiële wijk, aan de hoek van de Violetstraat en Sleutelbloemstraat. Op slechts een steenworp afstand van het centrum van Onze-Lieve-Vrouw-Olen geniet u van een vlotte verbinding naar de E313 en de omringende steden.
Beschrijving:
De nieuw op te richten woning dient gericht te worden naar de sleutelbloemstraat met een maximale bouwbreedte tot 26,88 meter (!) en met een royale maximale bebouwbare oppervlakte tot 200m².
De rustige ligging en de aanpalende laagbouwwoningen garanderen een hoge mate van privacy en rust.
Vergunning:
Stedenbouwkundig attest werd bekomen op 23/10/2025 en blijft 2 jaar geldig.
Interesse?
Voor meer informatie mag u steeds contact opnemen. Geen immomakelaars AUB.
Financieel
Beschikbaarheid
Vanaf akte
Gebouw
Type pand
Grond
Type bebouwing
Open
Oriëntatie achtergevel
West
Terrein
Perceeloppervlakte
1.437 m²
Staat grond
Bomen te rooien
Bebouwbare oppervlakte
1.437 m²
Ligging
Omgeving / buurt
Rustig
Energie
Laadpaal
Nee
Ruimtelijke ordening
Stedenbouwkundige info
Ja
Bestemming gebouw
Privé - woning
Kadastraal plan
Nee
Locatie
Sleutelbloemstraat 17, 2250 Olen239.000 EUR
Locatie
Sleutelbloemstraat 17
2250 Olen















