Grond te koop in Hoogstraten
€ 389.000
Is dit haalbaar voor jou?Omschrijving
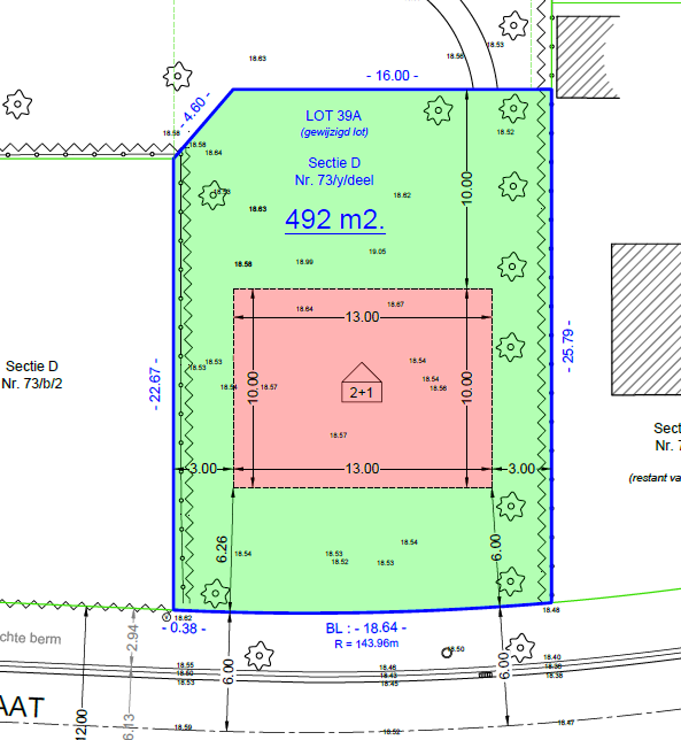
Bouwgrond voor open bebouwing ca. 492m² op top locatie te Hoogstraten
Gunstig gelegen bouwgrond voor open bebouwing op top locatie nabij het centrum van Hoogstraten.
Ideaal voor wie rustig wil wonen, maar toch vlakbij het centrum met winkels, scholen, horeca, openbaar vervoer, enzovoort.
Basiskenmerken:
- grondoppervlakte: 492 m²
- open bebouwing
- max. bouwbreedte: 13m
- max. bouwdiepte: 10m
Ideaal voor wie rustig wil wonen, maar toch vlakbij het centrum met winkels, scholen, horeca, openbaar vervoer, enzovoort.
Basiskenmerken:
- grondoppervlakte: 492 m²
- open bebouwing
- max. bouwbreedte: 13m
- max. bouwdiepte: 10m
Gebouw
Type pand
Grond
Subtype
Bouwgrond
Terrein
Perceeloppervlakte
492 m²
Meest recente bestemming terrein
Woongebied
Diepte perceel
25,79 m
Ruimtelijke ordening
Dagvaarding
Nee
Dagvaarding
Geen rechterlijke herstelmaatregel of bestuurlijke maatregel opgelegd
Vonnissen
Nee
Locatie
Kasteelbeekstraat 1 B, 2320 Hoogstraten389.000 EUR
Locatie
Kasteelbeekstraat 1 B
2320 Hoogstraten
Is dit haalbaar voor jou?
Minimale eigen inbreng
-EUR
Maandlast
-EUR/maand
Liever een voorstel op maat?
Vertel meer over je project en je persoonlijke situatie en KBC berekent je persoonlijke rentevoet. Je ontvangt onmiddellijk feedback of je lening haalbaar is en je kunt je aanvraag volledig digitaal afronden. Zelfs als je geen KBC-klant bent.








