Omschrijving
Bouwgrond met voorwaardelijke verkaveling voor 2 open bebouwingen te Mol
Dit ruime perceel is gunstig gelegen in de Hessie te Mol en omvat de voorste grond rond de hoeve en het achterliggende bos, wat zorgt voor extra privacy en een natuurlijke omgeving. Dankzij de voorwaardelijk goedgekeurde verkaveling kan het perceel worden opgesplitst in twee bouwgronden voor open bebouwing. De locatie combineert rust en groen met vlotte bereikbaarheid van alle voorzieningen zoals winkels, scholen en openbaar vervoer.
Beschrijving:
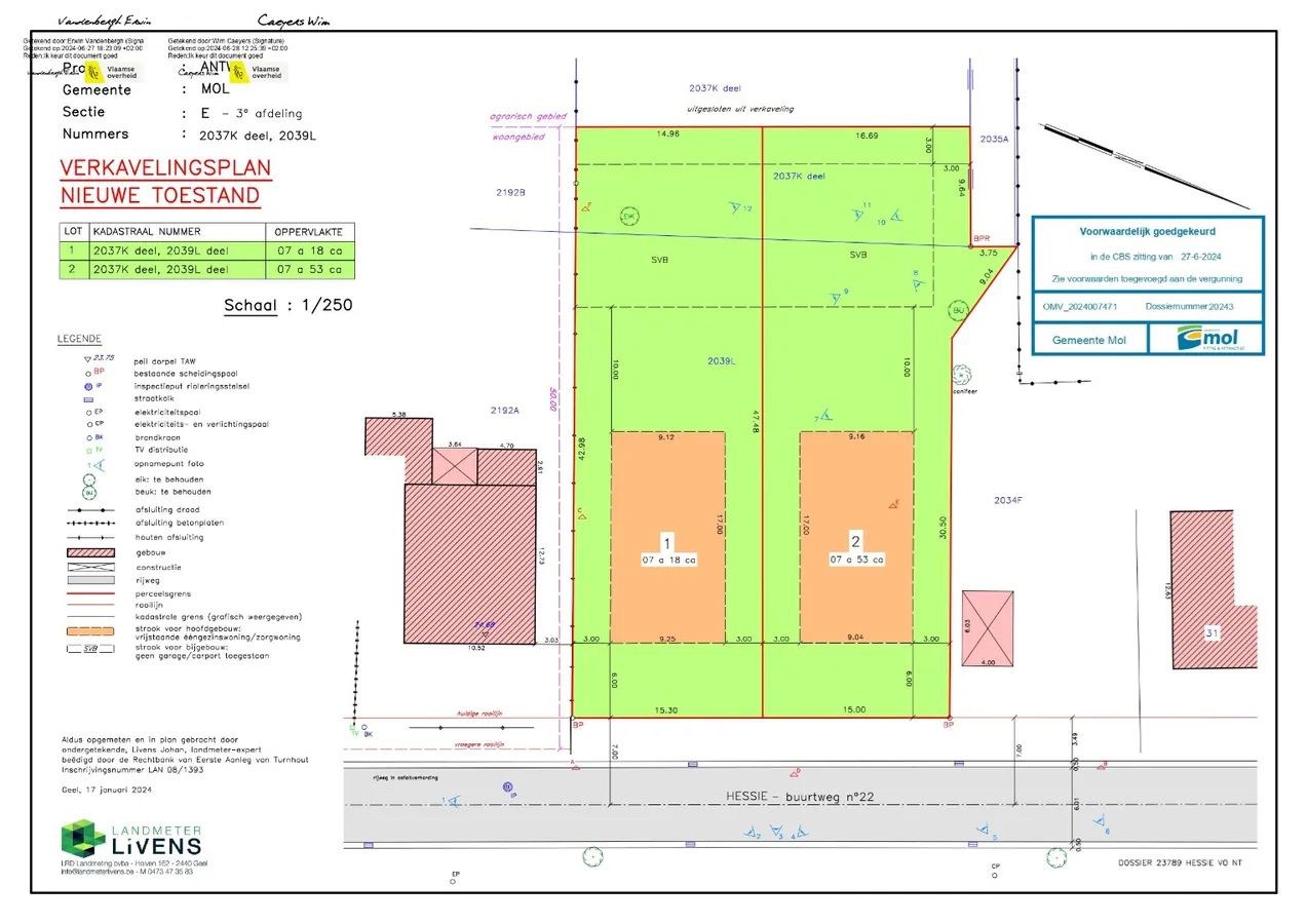
- Perceel met voorwaardelijk goedgekeurde verkaveling voor 2 bouwgronden (lot 1: 7a 18ca en lot 2: 7a 53ca)
- Open bebouwingen
- Totaaloppervlakte: 2.316 m² (inclusief achterliggend bos, agrarisch gebied, en exclusief optionele landbouwgrond)
- Bestemming: woongebied (eerste 47 meter), daarna agrarisch gebied
- Optioneel: achterliggende landbouwgrond van 24a 24ca kan bijkomend worden aangekocht voor €15.000, met extra mogelijkheden, bijvoorbeeld voor het houden van dieren zoals paarden
Renovatieverplichting residentiële gebouwen van toepassing. Meer info: https://energiesparen.be/renovatieverplichting.
Voor meer info of een bezoek contacteer ons via info@vastengoed.be of via 014/72 73 74.
Wenst u een gratis schatting van uw eigendom? Contacteer ons via 014/72 73 74.
Beschrijving:
- Perceel met voorwaardelijk goedgekeurde verkaveling voor 2 bouwgronden (lot 1: 7a 18ca en lot 2: 7a 53ca)
- Open bebouwingen
- Totaaloppervlakte: 2.316 m² (inclusief achterliggend bos, agrarisch gebied, en exclusief optionele landbouwgrond)
- Bestemming: woongebied (eerste 47 meter), daarna agrarisch gebied
- Optioneel: achterliggende landbouwgrond van 24a 24ca kan bijkomend worden aangekocht voor €15.000, met extra mogelijkheden, bijvoorbeeld voor het houden van dieren zoals paarden
Renovatieverplichting residentiële gebouwen van toepassing. Meer info: https://energiesparen.be/renovatieverplichting.
Voor meer info of een bezoek contacteer ons via info@vastengoed.be of via 014/72 73 74.
Wenst u een gratis schatting van uw eigendom? Contacteer ons via 014/72 73 74.
Financieel
Kadastraal inkomen
431 €
Beschikbaarheid
Vanaf akte
Gebouw
Type pand
Grond
Staat pand
Te renoveren
Type dak
Zadeldak
Terrein
Perceeloppervlakte
2.316 m²
Meest recente bestemming terrein
Woongebied
Tuin
Ja
Ligging
Openbaar vervoer nabij
Ja
School nabij
Ja
Energie
EPC-score (kWh/(m² jaar))
1624
EPC-label
F
Unieke code EPC
20250118-0003507991-RES-1
Ruimtelijke ordening
Dagvaarding
Geen rechterlijke herstelmaatregel of bestuurlijke maatregel opgelegd
Bouwvergunning
Nee
Verkavelingsvergunning
Ja
Locatie
Hessie 29, 2400 Mol439.000 EUR
Locatie
Hessie 29
2400 Mol
Is dit haalbaar voor jou?
Minimale eigen inbreng
-EUR
Maandlast
-EUR/maand
Liever een voorstel op maat?
Vertel meer over je project en je persoonlijke situatie en KBC berekent je persoonlijke rentevoet. Je ontvangt onmiddellijk feedback of je lening haalbaar is en je kunt je aanvraag volledig digitaal afronden. Zelfs als je geen KBC-klant bent.
















