Grond te koop in Meerhout
€ 149.900
Is dit haalbaar voor jou?Omschrijving
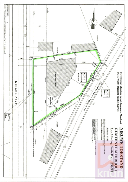
Perceel bouwgrond groot 11a14ca gelegen Kiezel en eveneens bereikbaar via Lindestraat
Gunstig gelegen bouwgrond voor open bebouwing, gelegen Kiezel, groot 11a14ca, met straatbreedte van +-40m.
Troef: perceel is eveneens bereikbaar langs Lindestraat.
Bouwvoorschriften en stedenbouwkundig attest te bekomen via kantoor.
Troef: perceel is eveneens bereikbaar langs Lindestraat.
Bouwvoorschriften en stedenbouwkundig attest te bekomen via kantoor.
Financieel
Beschikbaarheid
Vanaf akte
Gebouw
Type pand
Grond
Subtype
Bouwgrond
Nieuw gebouw
Nee
Terrein
Perceeloppervlakte
1.114 m²
Meest recente bestemming terrein
Woongebied
Indeling
Aantal slaapkamers
0
Aantal badkamers
0
Aantal toiletten
0
Comfort
Lift
Nee
Energie
E-peil
0
Keuringsattest elektriciteit
Ja, niet conform
Ruimtelijke ordening
Verkavelingsvergunning
Nee
Voorkooprecht
Nee
Beschermd erfgoed
Nee
Locatie
Kiezel, 2450 Meerhout149.900 EUR
Locatie
Kiezel
2450 Meerhout
Is dit haalbaar voor jou?
Minimale eigen inbreng
-EUR
Maandlast
-EUR/maand
Liever een voorstel op maat?
Vertel meer over je project en je persoonlijke situatie en KBC berekent je persoonlijke rentevoet. Je ontvangt onmiddellijk feedback of je lening haalbaar is en je kunt je aanvraag volledig digitaal afronden. Zelfs als je geen KBC-klant bent.















