Grond te koop in Meerhout
€ 170.000
Is dit haalbaar voor jou?Omschrijving
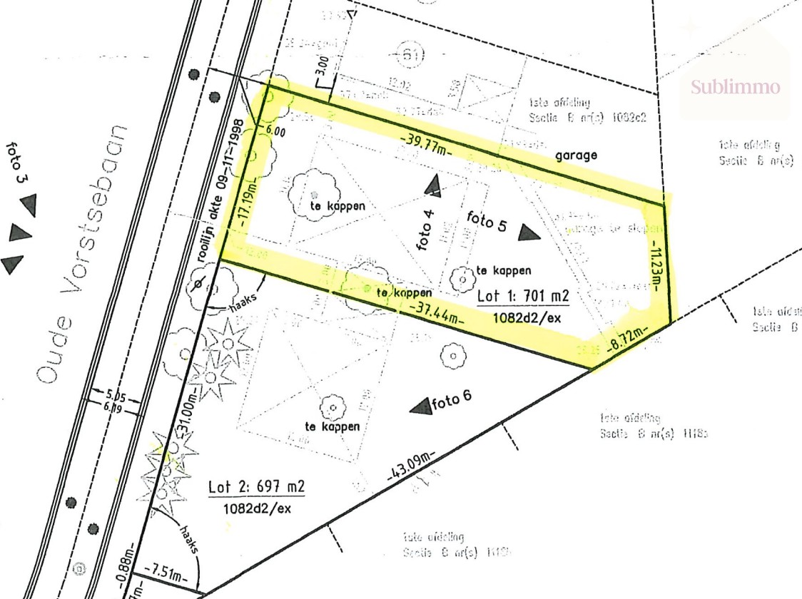
Bouwgrond te koop in Meerhout – 701 m² voor open bebouwing
Op zoek naar een ruime bouwgrond voor open bebouwing in Meerhout? Ontdek dit mooi perceel van 701 m² (7a01ca), ideaal gelegen aan de Oude Vorstebaan, op korte afstand van het centrum. Hier bouw je in een rustige, groene omgeving met alle voorzieningen binnen handbereik.
Dankzij de centrale ligging in Meerhout geniet je van een vlotte bereikbaarheid én de nabijheid van winkels, scholen, horeca en lokale handelaars. Een ideale locatie voor wie landelijk wil wonen zonder in te boeten op comfort.
Troeven van dit perceel
- Perceeloppervlakte van 701 m²
- Geschikt voor open bebouwing
- Straatbreedte van 17,19 meter
- Perceeldiepte van ca. 39,77 m (links) en 37,44 m (rechts)
- Rustige ligging nabij het centrum van Meerhout
Bouwvoorschriften
- Voorgevel op de voorgevelbouwlijn of binnen 6 meter diepte ervan, evenwijdig aan de bouwlijn
- Maximale voorgevelbreedte: 11,14 meter
- Minimaal 3 meter afstand van de perceelsgrenzen aan beide zijden
- Achtergevel op maximaal 17 meter achter de voorgevel en binnen de bouwstrook
Droom jij ervan om hier jouw eigen woning te realiseren?
Neem vandaag nog contact met ons op voor alle informatie of een persoonlijk gesprek via info@sublimmo.be of bel ons op 014 84 83 69.
Gebouw
Type pand
Grond
Subtype
Bouwgrond
Nieuw gebouw
Nee
Terrein
Perceeloppervlakte
701 m²
Meest recente bestemming terrein
Woongebied
Indeling
Aantal slaapkamers
0
Aantal badkamers
0
Aantal toiletten
0
Comfort
Lift
Nee
Energie
E-peil
0
Ruimtelijke ordening
Verkavelingsvergunning
Ja
Voorkooprecht
Nee
Beschermd erfgoed
Nee
Locatie
Oude Vorstsebaan, 2450 MeerhoutIs dit haalbaar voor jou?
Minimale eigen inbreng
-EUR
Maandlast
-EUR/maand
Liever een voorstel op maat?
Vertel meer over je project en je persoonlijke situatie en KBC berekent je persoonlijke rentevoet. Je ontvangt onmiddellijk feedback of je lening haalbaar is en je kunt je aanvraag volledig digitaal afronden. Zelfs als je geen KBC-klant bent.














