Grond te koop in Retie
€ 189.000
Is dit haalbaar voor jou?Omschrijving
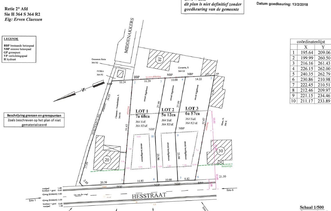
Leuke bouwgrond van 7a68ca voor vrijstaande woning in Retie-Schoonbroek
Deze ruime bouwgrond van 7a68ca voor een open bebouwing is gelegen langs de Hesstraat in Retie.
Je geniet hier van een goede verbinding met de E34 (snelweg Antwerpen - Eindhoven) en de omliggende gemeenten Arendonk, Dessel, Kasterlee en Oud-Turnhout.
Het perceel heeft een straatbreedte van 16,85 meter, een diepte van ca. 51 meter en is geschikt voor een open bebouwing met een zuidoost georiënteerde tuin.
De te bouwen woning heeft een maximum breedte van 9,86 meter en een diepte van maximum 17 meter.
Bouwvoorschriften:
- bouwvolume: max. 9,86 m breed op max. 17 m diep
- dakvorm: vrij te kiezen
- kroonlijsthoogte: max. 6,5 m
- nokhoogte: max. 11 m
- bijgebouwen: min 10m achter de achtergevelbouwlijn en binnen de strook zoals aangeduid op plan, 3m afstand van de perceelsgrenzen, platdak toegelaten op de perceelgrens.
- oppervlakte bijgebouwen: max 10% van perceeloppervlakte
*zorgwoning toegestaan mits naleven van voorwaarden
* kelder toegelaten
Je geniet hier van een goede verbinding met de E34 (snelweg Antwerpen - Eindhoven) en de omliggende gemeenten Arendonk, Dessel, Kasterlee en Oud-Turnhout.
Het perceel heeft een straatbreedte van 16,85 meter, een diepte van ca. 51 meter en is geschikt voor een open bebouwing met een zuidoost georiënteerde tuin.
De te bouwen woning heeft een maximum breedte van 9,86 meter en een diepte van maximum 17 meter.
Bouwvoorschriften:
- bouwvolume: max. 9,86 m breed op max. 17 m diep
- dakvorm: vrij te kiezen
- kroonlijsthoogte: max. 6,5 m
- nokhoogte: max. 11 m
- bijgebouwen: min 10m achter de achtergevelbouwlijn en binnen de strook zoals aangeduid op plan, 3m afstand van de perceelsgrenzen, platdak toegelaten op de perceelgrens.
- oppervlakte bijgebouwen: max 10% van perceeloppervlakte
*zorgwoning toegestaan mits naleven van voorwaarden
* kelder toegelaten
Financieel
Beschikbaarheid
Onmiddellijk
Gebouw
Type pand
Grond
Type bebouwing
Open
Gevelbreedte straatkant
9,86 m
Terrein
Perceeloppervlakte
768 m²
Meest recente bestemming terrein
Woongebied
Oriëntatie tuin
Zuidoost
Comfort
Aansluiting elektriciteit
Ja
Aansluiting riolering
Ja
Aansluiting water
Ja
Energie
EPC-score (kWh/(m² jaar))
0
EPC-label
A
Ruimtelijke ordening
Dagvaarding
Geen rechterlijke herstelmaatregel of bestuurlijke maatregel opgelegd
Bouwvergunning
Nee
Verkavelingsvergunning
Ja
Locatie
Hesstraat 24, 2470 RetieIs dit haalbaar voor jou?
Minimale eigen inbreng
-EUR
Maandlast
-EUR/maand
Liever een voorstel op maat?
Vertel meer over je project en je persoonlijke situatie en KBC berekent je persoonlijke rentevoet. Je ontvangt onmiddellijk feedback of je lening haalbaar is en je kunt je aanvraag volledig digitaal afronden. Zelfs als je geen KBC-klant bent.















