Omschrijving
Mooi perceel bouwgrond voor open bebouwing ca. 600 m² in Balen, Veldweg.
Gelegen nabij het centrum, doch rustig gelegen!
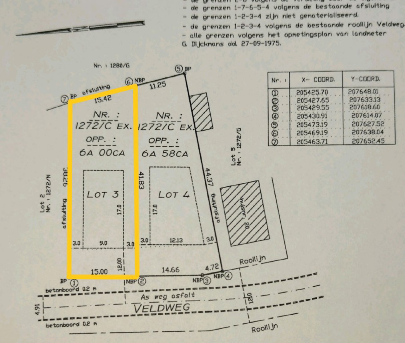
Breedte perceel = ca. 15 m
Diepte perceel = ca. 40 m
Max. bouwbreedte = ca. 9 m
Max. bouwdiepte = ca. 17 m
Bouwvoorschriften in aanvraag.
Voor meer info, contacteer ons kantoor op 014 72 83 77 of dossierbeheerder Jasmine Tegenbos op het nummer 0497 64 76 60.
Gelegen nabij het centrum, doch rustig gelegen!
Breedte perceel = ca. 15 m
Diepte perceel = ca. 40 m
Max. bouwbreedte = ca. 9 m
Max. bouwdiepte = ca. 17 m
Bouwvoorschriften in aanvraag.
Voor meer info, contacteer ons kantoor op 014 72 83 77 of dossierbeheerder Jasmine Tegenbos op het nummer 0497 64 76 60.
Gebouw
Type pand
Grond
Subtype
Bouwgrond
Terrein
Perceeloppervlakte
600 m²
Diepte perceel
40 m
Locatie
Veldweg, 2490 Balen144.000 EUR
Locatie
Veldweg
2490 Balen
Is dit haalbaar voor jou?
Minimale eigen inbreng
-EUR
Maandlast
-EUR/maand
Liever een voorstel op maat?
Vertel meer over je project en je persoonlijke situatie en KBC berekent je persoonlijke rentevoet. Je ontvangt onmiddellijk feedback of je lening haalbaar is en je kunt je aanvraag volledig digitaal afronden. Zelfs als je geen KBC-klant bent.















