Grond te koop in Berlaar
€ 179.000
Is dit haalbaar voor jou?Omschrijving
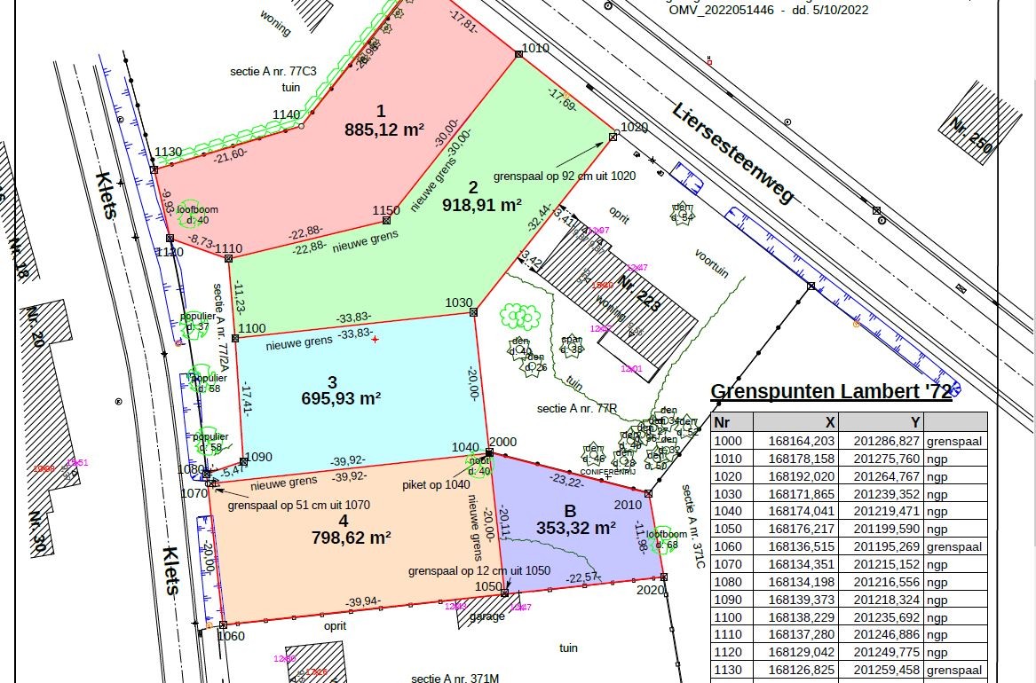
BOUWGROND OB | 695,93 m² | LOT 3
Bouwgrond voor open bebouwing met een oppervlakte volgens meting van 695,93 m².
DIt perceel is gelegen langs de doodlopende weg 'Klets'.
De zone voor het hoofdgebouw bedraagt 14 meter x 14 meter.
Auto's dienen inpandig en/of onder een carport in de zijtuinstrook te worden voorzien.
In de tuin mag een tuinhuis worden voorzien van 12 m².
Voor meer info, bel 0473 33 33 33 of mail philip@wijns.be
DIt perceel is gelegen langs de doodlopende weg 'Klets'.
De zone voor het hoofdgebouw bedraagt 14 meter x 14 meter.
Auto's dienen inpandig en/of onder een carport in de zijtuinstrook te worden voorzien.
In de tuin mag een tuinhuis worden voorzien van 12 m².
Voor meer info, bel 0473 33 33 33 of mail philip@wijns.be
Gebouw
Type pand
Grond
Subtype
Bouwgrond
Nieuw gebouw
Nee
Terrein
Perceeloppervlakte
695,93 m²
Meest recente bestemming terrein
Woongebied met landelijk karakter
Indeling
Aantal slaapkamers
0
Aantal badkamers
0
Aantal toiletten
0
Comfort
Lift
Nee
Energie
E-peil
0
Keuringsattest elektriciteit
Ja, niet conform
Ruimtelijke ordening
Verkavelingsvergunning
Ja
Voorkooprecht
Nee
P(erceel)-score
A (geen overstroming gemodelleerd)
Locatie
Klets, 2590 Berlaar179.000 EUR
Locatie
Klets
2590 Berlaar
Is dit haalbaar voor jou?
Minimale eigen inbreng
-EUR
Maandlast
-EUR/maand
Liever een voorstel op maat?
Vertel meer over je project en je persoonlijke situatie en KBC berekent je persoonlijke rentevoet. Je ontvangt onmiddellijk feedback of je lening haalbaar is en je kunt je aanvraag volledig digitaal afronden. Zelfs als je geen KBC-klant bent.











