Grond te koop in Begijnendijk
€ 174.000
Is dit haalbaar voor jou?Omschrijving
Bouwgrond
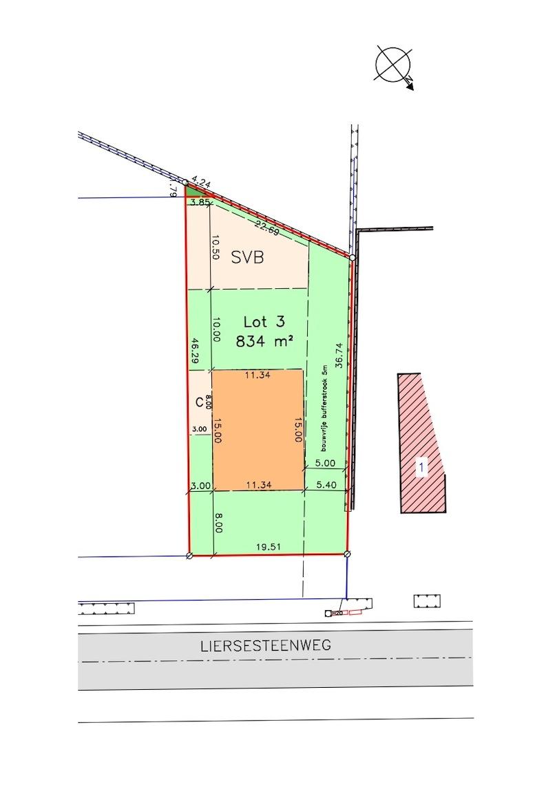
Een perceel bouwgrond voor open bebouwing en gelegen op 8a 34ca met een straatbreedte van 19,51m. Het perceel is gelegen in woongebied met landelijk karakter, en achteraan in agrarisch gebied.
Deze bouwgrond is gelegen in een recente goedgekeurde verkaveling (van 3 loten).
Financieel
Prijs
174.000 €
Gebouw
Type pand
Grond
Subtype
Bouwgrond
Type bebouwing
Open
Terrein
Perceeloppervlakte
834 m²
Meest recente bestemming terrein
Woongebied
Breedte perceel
19,51 m
Ruimtelijke ordening
Dagvaarding
Nee
Bouwvergunning
Nee
Verkavelingsvergunning
Ja
Locatie
Liersesteenweg 5, 3130 Begijnendijk174.000 EUR
Locatie
Liersesteenweg 5
3130 Begijnendijk













