Grond te koop in Oudsbergen
€ 129.000
Is dit haalbaar voor jou?Omschrijving
Rustig gelegen bouwgrond (OB), opp. 4a93ca
Bouwgrond voor open bebouwing in woongebied met landelijk karakter op een perceel van 4a93ca. Gelegen in een zeer rustige en familiale woonwijk in Oudsbergen.
Centraal gelegen nabij nodige faciliteiten; apotheker op 500 m en 2 km van onder andere het Dorpsplein (centrum Oudsbergen), de sporthal, verschillende supermarkten, Sentower Park, het Joekelbos,...
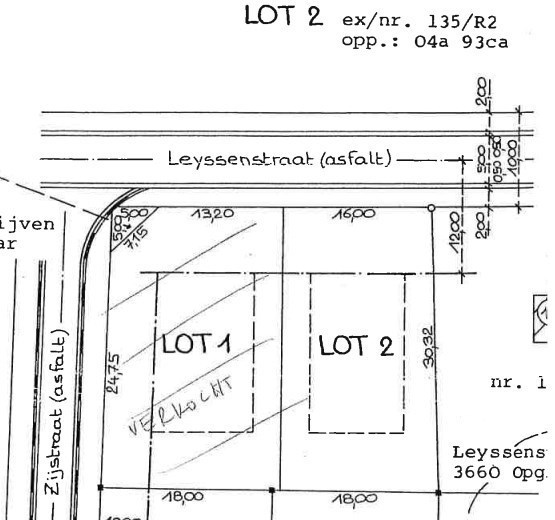
Verkavelingsvergunning afgeleverd. Het betreft "Lot 2" op het opmetingsplan.
Bestuursmaatregelen in het maatregelenregister: nee
Toelichting van de gemeente Oudsbergen: "Er kan worden afgeweken van huidige voorschriften."
Huidige voorschriften:
- Openbebouwing
- Bouwdiepte: gelijkvloers max. 17m (14m hoofdbouw + 3m aanbouw).
- Zijgevels op 3 meter van de perceelsgrenzen
- Bouwhoogte: 1 of 1,5 bouwlagen. Hoogte tussen wegpijl en kroonlijst 3,5m en 4,5m.
- Dakhelling: tussen 25° en 45°
- Vrijstaand bijgebouw mogelijk: max 40m², max 3,5m hoog, minimaal 1m los van de woning, in de achtertuin minimaal 1m van perceelsgrenzen.
- Eventueel ondergrondse garage: inrit naar garage helling max 4% voor de eerste 5m van de rooilijn
In geval er afgeweken wordt van de huidige voorschriften, dient er rekening te worden gehouden met een achtertuin van minimaal 10 meter diep.
U kan de bouwvoorschriften downloaden op onze website.
Voor meer info bel Dario op 0472/09.27.56 of 011/22.19.17.
Bekijkt u deze advertentie via een aanverwante vastgoedsite, surf dan zeker naar onze website www.limburgsvastgoed.be voor een uitgebreide beschrijving en foto's.
Centraal gelegen nabij nodige faciliteiten; apotheker op 500 m en 2 km van onder andere het Dorpsplein (centrum Oudsbergen), de sporthal, verschillende supermarkten, Sentower Park, het Joekelbos,...
Verkavelingsvergunning afgeleverd. Het betreft "Lot 2" op het opmetingsplan.
Bestuursmaatregelen in het maatregelenregister: nee
Toelichting van de gemeente Oudsbergen: "Er kan worden afgeweken van huidige voorschriften."
Huidige voorschriften:
- Openbebouwing
- Bouwdiepte: gelijkvloers max. 17m (14m hoofdbouw + 3m aanbouw).
- Zijgevels op 3 meter van de perceelsgrenzen
- Bouwhoogte: 1 of 1,5 bouwlagen. Hoogte tussen wegpijl en kroonlijst 3,5m en 4,5m.
- Dakhelling: tussen 25° en 45°
- Vrijstaand bijgebouw mogelijk: max 40m², max 3,5m hoog, minimaal 1m los van de woning, in de achtertuin minimaal 1m van perceelsgrenzen.
- Eventueel ondergrondse garage: inrit naar garage helling max 4% voor de eerste 5m van de rooilijn
In geval er afgeweken wordt van de huidige voorschriften, dient er rekening te worden gehouden met een achtertuin van minimaal 10 meter diep.
U kan de bouwvoorschriften downloaden op onze website.
Voor meer info bel Dario op 0472/09.27.56 of 011/22.19.17.
Bekijkt u deze advertentie via een aanverwante vastgoedsite, surf dan zeker naar onze website www.limburgsvastgoed.be voor een uitgebreide beschrijving en foto's.
Financieel
Beschikbaarheid
Vanaf akte
Gebouw
Type pand
Grond
Garage
Ja
Terrein
Perceeloppervlakte
493 m²
Meest recente bestemming terrein
Woongebied met landelijk karakter
Oriëntatie tuin
Zuid
Ligging
Openbaar vervoer nabij
Ja
School nabij
Ja
Winkels nabij
Ja
Indeling
Kelder
Ja
Energie
EPC-score (kWh/(m² jaar))
0
EPC-label
A
Ruimtelijke ordening
Dagvaarding
Geen rechterlijke herstelmaatregel of bestuurlijke maatregel opgelegd
Bouwvergunning
Nee
Verkavelingsvergunning
Ja
Locatie
Leyssenstraat 24 +/-, 3660 OudsbergenIs dit haalbaar voor jou?
Minimale eigen inbreng
-EUR
Maandlast
-EUR/maand
Liever een voorstel op maat?
Vertel meer over je project en je persoonlijke situatie en KBC berekent je persoonlijke rentevoet. Je ontvangt onmiddellijk feedback of je lening haalbaar is en je kunt je aanvraag volledig digitaal afronden. Zelfs als je geen KBC-klant bent.















